알림

알림 내역

알림 신청내역/취소

로고 의정부지방법원 본원 [경매2계] 2019타경86101[2]
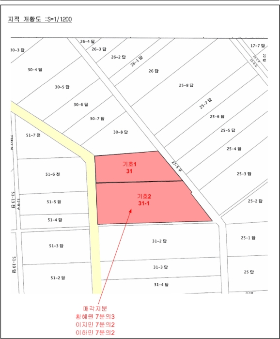
경기도 양주시 남면 입암리 31-1

경기 양주시 남면 입암리 31-1

주소복사
경매구분 임의경매
용도
토지 2884㎡(872.4평)
건물 -
감정가 210,532,000원
최저가 147,372,000원
보증금 14,740,000원 (10%)
청구액 241,911,103원
개시결정 2019년 10월 21일
감정일 2019년 11월 08일
배당종기 2020년 01월 02일
매각일 2020년 10월 15일
2019타경86101[2]
2019타경86101[2]
2019타경86101[2]
2019타경86101[2]
2019타경86101[2]
2019타경86101[2]
2019타경86101[2]
2019타경86101[2]
2019타경86101[2]
감정가
2억1053만2000원
낙찰가
2억1000만원
배당종결 2020년 10월 15일
유찰 1회농지취득자격증명
유찰 1회농지취득자격증명
경매구분 임의경매
용도
토지 2884㎡(872.4평)
건물 -
감정가 210,532,000원
최저가 147,372,000원
보증금 14,740,000원 (10%)
청구액 241,911,103원
개시결정 2019년 10월 21일
감정일 2019년 11월 08일
배당종기 2020년 01월 02일
매각일 2020년 10월 15일
배당종결 2020년 10월 15일

당사자 내역

소유자 황OO
소유자 이OO
소유자 이OO
채무자겸소유자 이OO
채권자 의OOOOOOOO
근저당권자 의OOOOOOOO
교부권자 의OOO

기일 내역

2020.11.30
납부 (2020.11.12)
2020.10.22
최고가매각허가결정
2020.10.15
2억1000만원 매각
1억4737만2000원 최저가
2020.08.13
최고가매각불허가결정
2020.08.06
2억79만원 매각
1억4737만2000원 최저가
2020.07.02
2억1053만2000원 유찰

물건 비고(공고문)

농지취득자격증명 필요함(미제출시 매수신청보증금 반환하지 아니함)

물건 비고(매각 명세서)

농지취득자격증명 필요함(미제출시 매수신청보증금 반환하지 아니함)

현황 조사(현황 조사서)

1. 목록 1. 2.는 각 현황상 벼 농사 수확을 완료한 상태임
2. 이건 부동산은 목측에 의하여 조사한 것으로 그 정확한 위치, 면적, 경계, 구조 등은 전문감정인의 감정이 필요함
3. 이 사건 매각지분의 구분소유적 공유관계인지 여부는 알수 없으므로 별도의 확인 필요함

점유 조사(현황 조사서)

[목록2]현장에서 아무도 만나지 못하여 점유관계를 알 수 없으므로 점유관계 등은 별도의 확인이 필요함.

매각결과+

매각일자 / 결과 응찰자수 최고가 금액/응찰자명 차순위 금액

동일사건 물건목록

번호 주소 상태/입찰일 물건내역
1 경기도 양주시 남면 입암리 31 배당종결
2020.08.06
바로가기
2
본건
경기도 양주시 남면 입암리 31-1 배당종결
2020.10.15
-
부동산
등기
임차인
그 외

부동산

매각목록

※ 건축물 도면은 ‘건축물 대장의 기재 및 관리에 관한 규칙’ 에 따라 현재 경매가 진행중인 물건에만 제공됩니다.
※ 지분물건의 경우 면적은 지분에 해당하는 면적이 아닌 전체 면적으로 표기됩니다

감정평가

주변 입주 예정

거리 단지명 공급년월 세대 수
※ 해당 자료는 한국부동산원 청약홈 자료에 근거하며, 인근 5km 이내의 물건을 기준으로 산정되었습니다.

등기

등기부현황

채권합계 282,000,000원(1건)
등기일자 권리종류 권리자/채권액 권리
2013-12-05
(을4)
근저당권설정 의정부농업협동조합 소멸
말소기준 등기 282,000,000원
2019-10-21
(갑4)
임의경매개시결정
(2019타경86101)
의정부농업협동조합 소멸
경매기입 등기 241,911,103원
※ 신규 발급등기의 분석자료 반영에는 최대 1일까지 소요될수 있습니다.(등기분석,임차인분석,분석노트 등)

임차인

매각물건 명세서

구분 법원 사건번호 작성일자 매각명세서
1 의정부지법 2019타경86101[2] 2020.09.23
구분 법원/
사건번호
작성일자 매각명세서
1 의정부지법
2019타경86101[2]
2020.09.23

물건 비고(매각 명세서)

농지취득자격증명 필요함(미제출시 매수신청보증금 반환하지 아니함)

임차인현황

임차인 보증금/차임 전입/확정/배당 대항력
매각물건명세서상 임차인이 존재하지 않습니다.

현황 조사서

조사일시

2019년11월21일15시00분

부동산의 현황

1. 목록 1. 2.는 각 현황상 벼 농사 수확을 완료한 상태임
2. 이건 부동산은 목측에 의하여 조사한 것으로 그 정확한 위치, 면적, 경계, 구조 등은 전문감정인의 감정이 필요함
3. 이 사건 매각지분의 구분소유적 공유관계인지 여부는 알수 없으므로 별도의 확인 필요함

점유 조사

[목록2]현장에서 아무도 만나지 못하여 점유관계를 알 수 없으므로 점유관계 등은 별도의 확인이 필요함.

미납관리비 조사내역

확인일자 미납금액 관리소번호 메모

※ 해당 정보는 참고용으로 제공되며 입찰 전 반드시 관리사무소를 통해 직접 확인하시기 바랍니다.

시세

전문가

그외

관할법원 관할법원 (입찰장소)

의정부지방법원 본원

경매2계 : 031-828-0114

경기 의정부시 가능동 364 주소복사

Q&A Q&A

Q. 대법원경매가 무엇인가요?누구나 입찰에 참여할 수 있나요?

경매채무자(빌린 자)가 채무를 갚지 않았을 때 채권자(빌려준 자)의 신청으로 대법원이 채무자의 재산을 대신 매각하는 과정을 말합니다.

법원은 감정인에게 자산을 평가하게 한 후, 최저가를 정하여 그 금액 이상으로 입찰한 입찰자 중 최고가 매수인을 결정합니다.

대법원의 주관하에 국민 모두가 참여할 수 있습니다.

Q. 경매 입찰은 어떻게 하나요?누구나 입찰에 참여할 수 있나요?

1. 입찰하시고자 하는 경매물건을 정하신 후, 입찰하시고자 하는 입찰가를 최저가 이상으로 정합니다.

2. 해당 물건의 매각기일에 직접 관할법원에 방문하셔서 법원내에 비치된 입찰서를 작성하신 후 입찰하시면 됩니다.

TIP! 법원에 가실 때에는 입찰보증금(최저가의 10~30%)과 신분증을 지참하여 방문하세요.

Q. 용어가 너무 어려워서 내용을 이해하기 어려워요누구나 입찰에 참여할 수 있나요?

매각기일
매각기일은 경매 법원이 부동산에 대하여 매각 입찰을 진행하는 날을 말합니다.

유찰
매각 기일에 매수하고자 하는 사람이 없어 매각되지 않아 무효가 되는 것을 유찰이라고 합니다.

최저 매각 가격
최초 경매를 진행할때 감정인이 평가한 가격을 기준으로 책정한 금액이며 입찰자는 최저 매각 가격과 동일하거나 이상의 금액으로 입찰해야 합니다. 매각 기일에 있어 입찰자가 없어 유찰되면 통상 20~30% 저감된 금액이 다음 최저 매각 가격이 됩니다.

매수 보증금
경매 물건을 매수하고자 하는사람은 최저 매각 가격의 10분의 1(다르게 정해질 수 있음)에 해당하는 보증금액을 입찰표와 함께 집행관에게 제출하는 방법으로 제공합니다. 매각 절차가 종결된 후 집행관은 최고가 매수신고인이나 차순위매수신고인 이외의 매수신청인에게는 즉시 매수 보증금을 반환해 줍니다.

더 많은 내용을 알고 싶다면 경매마당 학습하기 코너에 준비된 용어설명을 이용해보세요.

경매정보는 법원자료와 일치하도록 하였으나 권리사항변동, 입력착오 등의 원인으로 사실과 다를 수 있습니다. 이용약관에 의거 면책조건으로 제공됨을 알리며, 경매입찰시 반드시 관련 공부를 재확인하시기 바랍니다.

PC버전으로 보기