알림

알림 내역

알림 신청내역/취소

로고 인천지방법원 본원 [경매15계] 2020타경509753
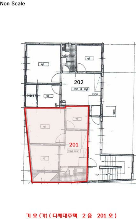
인천광역시 남동구 백범로206번길 21-1, 2층201호

인천 남동구 만수동 111-8

주소복사
경매구분 임의경매
용도 다세대
토지 16.3㎡(4.9평)
건물 45.06㎡(13.6평)
감정가 82,000,000원
최저가 40,180,000원
보증금 4,020,000원 (10%)
청구액 65,544,862원
접수일 2020년 04월 14일
개시결정 2020년 04월 17일
감정일 2020년 04월 24일
매각일 2021년 02월 23일
2020타경509753
2020타경509753
2020타경509753
2020타경509753
2020타경509753
2020타경509753
2020타경509753
2020타경509753
2020타경509753
2020타경509753
2020타경509753
감정가
8200만원
낙찰가 45%
4521만원
배당종결 2021년 02월 23일
유찰 2회
유찰 2회
경매구분 임의경매
용도 다세대
토지 16.3㎡(4.9평)
건물 45.06㎡(13.6평)
감정가 82,000,000원
최저가 40,180,000원
보증금 4,020,000원 (10%)
청구액 65,544,862원
접수일 2020년 04월 14일
개시결정 2020년 04월 17일
감정일 2020년 04월 24일
매각일 2021년 02월 23일
배당종결 2021년 02월 23일

당사자 내역

채무자겸소유자 최OO
채권자 한OOOOOOOOOOOOOOOOOOOOOOOO
임차인 김OO
압류권자 동OOOOO
교부권자 동OOOOO
교부권자 국OOOOOOOOOOOOO
교부권자 인OOOOOOOOO
교부권자 인OOOOOOOO
교부권자 동OOOOO

기일 내역

2021.03.30
납부 (2021.03.22)
2021.03.02
최고가매각허가결정
2021.02.23
4521만원 매각
4018만원 최저가
2021.01.13
5740만원 유찰
2020.11.27
8200만원 유찰

현황 조사(현황 조사서)

본건 부동산은 공동주택 밀집지역에 위치한 4층 다세대주택의 2층 201호임.
본건 조사서의 조사내용은 임차인의 전화진술 및 전입세대열람, 주민등록표등본에 의한 조사사항임.(권리신고에 관한 안내문 부착)

점유 조사(현황 조사서)

[목록1]- 본건 현황조사차 현장에 임한 바, 폐문부재로 이해관계인을 만날 수 없어 상세한 점유 및 임대차관계는 알 수 없으나, 임차인이 이건 부동산을 점유하고 있다고 함(임차인 김성희의 전화 진술) - 본건 주소지내 전입세대 열람내역 및 주민등록표 등본 첨부.

매각결과+

매각일자 / 결과 응찰자수 최고가 금액/응찰자명 차순위 금액
부동산
등기
임차인
그 외

부동산

매각목록

※ 건축물 도면은 ‘건축물 대장의 기재 및 관리에 관한 규칙’ 에 따라 현재 경매가 진행중인 물건에만 제공됩니다.
※ 지분물건의 경우 면적은 지분에 해당하는 면적이 아닌 전체 면적으로 표기됩니다

감정평가

감정평가서 요약

1.구분건물감정평가요항표 1) 위치 및 주위환경 본건은 인천광역시 남동구 만수동 소재 "만수북초등학교" 북서측 인근에 위치한 다세대주택 제2층 제201호로서 주변은 공동주택 및 근린생활시설 등으로 형성되어 있음. 2) 교통상황 인근까지 차량 접근이 가능하며, 인근에 버스정류장이 소재하여 대중교통상황은 보통시됨. 3) 건물의 구조 본건은 철근콘크리트조 스라브지붕 4층건 내 제2층 제201호로,(집합건축물대장상 사용승인일 : 1995.12.27) 외 벽 : 모르타르위 페인팅 창 호 : 새시창임. 4) 이용상태 다세대주택임. 5) 설비내역 위생설비, 급배수설비, 난방설비 등이 되어 있음. 6) 토지의 형상 및 이용상태 2필 일단의 자루형의 주거용 건부지임. 7) 인접 도로상태등 지적상 본건 필지 남동측으로 약 8 m 도로와 접함. 8) 토지이용계획 및 제한상태 제2종일반주거지역, 상대보호구역(문의:인천동부교육지원청 평생교육건강과 460-6086)<교육환경 보호에 관한 법률>, 과밀억제권역<수도권정비계획법>임. 9) 공부와의 차이 - 10) 기타참고사항(임대관례 및 기타) 이해관계인의 부재 및 폐문으로 공부 및 현장조사 사항을 근거로 작성하였으며 자세한 임대관계는 미상임.

주변 입주 예정

거리 단지명 공급년월 세대 수
※ 해당 자료는 한국부동산원 청약홈 자료에 근거하며, 인근 5km 이내의 물건을 기준으로 산정되었습니다.

등기

등기부현황

채권합계 79,800,000원(1건)
등기일자 권리종류 권리자/채권액 권리
2015-09-11
소유자 최병일 (소유자)
단독소유 -
2015-09-11
(을3)
근저당권설정 주식회사케이비손해보험 소멸
말소기준 등기 79,800,000원
2020-07-22
(을3-1)
근저당권이전 한국자산관리공사 소멸
- -
2017-02-06
(갑3)
압류 동대문세무서 소멸
- -
2020-04-17
(갑4)
임의경매개시결정
(2020타경509753)
주식회사케이비손해보험 소멸
경매기입 등기 65,544,862원
2020-04-24
(갑5)
압류 국민건강보험공단 소멸
- -
더보기 더보기
※ 신규 발급등기의 분석자료 반영에는 최대 1일까지 소요될수 있습니다.(등기분석,임차인분석,분석노트 등)

임차인

매각물건 명세서

구분 법원 사건번호 작성일자 매각명세서
1 인천지법 2020타경509753[1] 2020.09.24
구분 법원/
사건번호
작성일자 매각명세서
1 인천지법
2020타경509753[1]
2020.09.24

임차인현황

임차인 보증금/차임 전입/확정/배당 대항력
김성희
(주거임차인 / 소액임차인)
점유부분:
전부
보증:
24,000,000
차임:
-
전입: 2015-10-29
확정: 2015-10-29
배당: 2020-05-13
-

현황 조사서

조사일시

2020년04월24일17시30분 / 2020년04월28일17시30분

부동산의 현황

본건 부동산은 공동주택 밀집지역에 위치한 4층 다세대주택의 2층 201호임.
본건 조사서의 조사내용은 임차인의 전화진술 및 전입세대열람, 주민등록표등본에 의한 조사사항임.(권리신고에 관한 안내문 부착)

점유 조사

[목록1]- 본건 현황조사차 현장에 임한 바, 폐문부재로 이해관계인을 만날 수 없어 상세한 점유 및 임대차관계는 알 수 없으나, 임차인이 이건 부동산을 점유하고 있다고 함(임차인 김성희의 전화 진술) - 본건 주소지내 전입세대 열람내역 및 주민등록표 등본 첨부.

1
소재지 인천광역시남동구백범로206번길21-1,2층201호
점유인 김성희(임차인)
점유부분 미상(주거)
점유기간 미상
보증금/차임 24,000,000/미상
전입/확정일자 2015.10.29/미상

미납관리비 조사내역

확인일자 미납금액 관리소번호 메모

※ 해당 정보는 참고용으로 제공되며 입찰 전 반드시 관리사무소를 통해 직접 확인하시기 바랍니다.

시세

전문가

그외

관할법원 관할법원 (입찰장소)

인천지방법원 본원

경매15계 : 032-860-1113

인천 미추홀구 학익동 278-2 주소복사

Q&A Q&A

Q. 대법원경매가 무엇인가요?누구나 입찰에 참여할 수 있나요?

경매채무자(빌린 자)가 채무를 갚지 않았을 때 채권자(빌려준 자)의 신청으로 대법원이 채무자의 재산을 대신 매각하는 과정을 말합니다.

법원은 감정인에게 자산을 평가하게 한 후, 최저가를 정하여 그 금액 이상으로 입찰한 입찰자 중 최고가 매수인을 결정합니다.

대법원의 주관하에 국민 모두가 참여할 수 있습니다.

Q. 경매 입찰은 어떻게 하나요?누구나 입찰에 참여할 수 있나요?

1. 입찰하시고자 하는 경매물건을 정하신 후, 입찰하시고자 하는 입찰가를 최저가 이상으로 정합니다.

2. 해당 물건의 매각기일에 직접 관할법원에 방문하셔서 법원내에 비치된 입찰서를 작성하신 후 입찰하시면 됩니다.

TIP! 법원에 가실 때에는 입찰보증금(최저가의 10~30%)과 신분증을 지참하여 방문하세요.

Q. 용어가 너무 어려워서 내용을 이해하기 어려워요누구나 입찰에 참여할 수 있나요?

매각기일
매각기일은 경매 법원이 부동산에 대하여 매각 입찰을 진행하는 날을 말합니다.

유찰
매각 기일에 매수하고자 하는 사람이 없어 매각되지 않아 무효가 되는 것을 유찰이라고 합니다.

최저 매각 가격
최초 경매를 진행할때 감정인이 평가한 가격을 기준으로 책정한 금액이며 입찰자는 최저 매각 가격과 동일하거나 이상의 금액으로 입찰해야 합니다. 매각 기일에 있어 입찰자가 없어 유찰되면 통상 20~30% 저감된 금액이 다음 최저 매각 가격이 됩니다.

매수 보증금
경매 물건을 매수하고자 하는사람은 최저 매각 가격의 10분의 1(다르게 정해질 수 있음)에 해당하는 보증금액을 입찰표와 함께 집행관에게 제출하는 방법으로 제공합니다. 매각 절차가 종결된 후 집행관은 최고가 매수신고인이나 차순위매수신고인 이외의 매수신청인에게는 즉시 매수 보증금을 반환해 줍니다.

더 많은 내용을 알고 싶다면 경매마당 학습하기 코너에 준비된 용어설명을 이용해보세요.

경매정보는 법원자료와 일치하도록 하였으나 권리사항변동, 입력착오 등의 원인으로 사실과 다를 수 있습니다. 이용약관에 의거 면책조건으로 제공됨을 알리며, 경매입찰시 반드시 관련 공부를 재확인하시기 바랍니다.

PC버전으로 보기