알림

알림 내역

알림 신청내역/취소

로고 인천지방법원 부천지원 [경매3계] 2024타경30906[1]
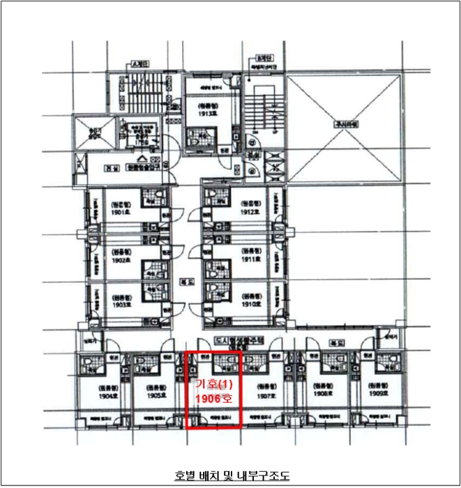
경기도 부천시 원미구 부천로2번길 49, 19층1906호 (심곡동,에코스마트3)

경기 부천시 원미구 심곡동 142-10

주소복사
경매구분 강제경매
용도 오피스텔(주거)
토지 2.2㎡(0.7평)
건물 12.2㎡(3.7평)
감정가 91,000,000원
최저가 21,849,000원
보증금 2,190,000원 (10%)
청구액 29,187,630원
개시결정 2024년 01월 17일
감정일 2024년 02월 02일
배당종기 2024년 04월 03일
매각일 2025년 01월 07일
2024타경30906[1]
2024타경30906[1]
2024타경30906[1]
2024타경30906[1]
2024타경30906[1]
2024타경30906[1]
2024타경30906[1]
2024타경30906[1]
2024타경30906[1]
2024타경30906[1]
2024타경30906[1]
2024타경30906[1]
2024타경30906[1]
2024타경30906[1]
2024타경30906[1]
2024타경30906[1]
2024타경30906[1]
2024타경30906[1]
2024타경30906[1]
2024타경30906[1]
2024타경30906[1]
2024타경30906[1]
2024타경30906[1]
2024타경30906[1]
2024타경30906[1]
2024타경30906[1]
2024타경30906[1]
2024타경30906[1]
2024타경30906[1]
2024타경30906[1]
2024타경30906[1]
2024타경30906[1]
2024타경30906[1]
2024타경30906[1]
2024타경30906[1]
2024타경30906[1]
2024타경30906[1]
2024타경30906[1]
2024타경30906[1]
감정가
9100만원
낙찰가
- 원
배당종결 2025년 01월 07일
유찰 5회임차권등기선순위임차인
유찰 5회임차권등기선순위임차인
경매구분 강제경매
용도 오피스텔(주거)
토지 2.2㎡(0.7평)
건물 12.2㎡(3.7평)
감정가 91,000,000원
최저가 21,849,000원
보증금 2,190,000원 (10%)
청구액 29,187,630원
개시결정 2024년 01월 17일
감정일 2024년 02월 02일
배당종기 2024년 04월 03일
매각일 2025년 01월 07일
배당종결 2025년 01월 07일

당사자 내역

채무자겸소유자 이OO
채권자 우OOOOOOOOOO
임차인 이OO
임차인 김OO
임차인 한OOOOOOO
가압류권자 우OOOOOOOOOOO
가압류권자 토OOOOOOOO
교부권자 국OOOOOOOOOOOO
교부권자 부OO
임차권자 최OO

기일 내역

2025.01.07
2184만9000원 유찰
2024.11.26
3121만3000원 유찰
2024.10.22
4459만원 유찰
2024.09.03
6370만원 유찰
2024.07.30
9100만원 유찰

임차인(매각 명세서)

<비고>
최우진:주택임차권 등기일은 2023.10.13.임.

인수되는 권리/가처분(매각 명세서)

2023.10.13. 접수 제78644호로 등기된 임차권등기(단 임차권자가 배당에서 보증금 전액을 변제받지 못할 경우에 한함)

점유 조사(현황 조사서)

[목록1]현장에 임하였으나 아무도 만나지 못하여 점유관계 미상임. 별도의 확인이 필요함. 덧붙인 전입세대확인서 및 외국인체류확인서에는 등재자가 없음. 안내문을 우편함에 끼워 두었음.

매각결과+

매각일자 / 결과 응찰자수 최고가 금액/응찰자명 차순위 금액

동일사건 물건목록

번호 주소 상태/입찰일 물건내역
1
본건
경기도 부천시 원미구 부천로2번길 49, 19층1906호 (심곡동,에코스마트3) 배당종결
2025.01.07
-
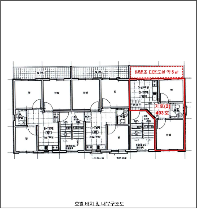
2 경기도 부천시 원미구 부흥로188번길 7, 4층403호 (중동,중동스위트홈) 배당종결
2024.11.26
바로가기
3 경기도 부천시 원미구 신흥로26번길 36, 9층908호 (심곡동,대준블루온) 배당종결
2025.01.07
바로가기
부동산
등기
임차인
그 외

부동산

매각목록

※ 건축물 도면은 ‘건축물 대장의 기재 및 관리에 관한 규칙’ 에 따라 현재 경매가 진행중인 물건에만 제공됩니다.
※ 지분물건의 경우 면적은 지분에 해당하는 면적이 아닌 전체 면적으로 표기됩니다

감정평가

감정평가서 요약

1) 위치 및 주위환경 - 기호(1),(3) : 본건은 경기도 부천시 원미구 심곡동 소재 "부천역" 북동측 및 북서측 주변에 소재하고 있으며, 주위는 공동주택, 오피스텔, 주상복합, 상가점포, 사무실 등이 혼재하고 있는 지역임. - 기호(2) : 본건은 경기도 부천시 원미구 중동 소재 "상지초등학교" 북측 인근에 위치하고 있으며, 주위는 공동주택, 단독주택, 주상용 건물 등이 혼재하고 있는 지역임. 2) 교통상황 - 기호(1),(3) : 본건까지 차량접근이 가능하고, 인근에 버스정류장, 전철역(부천역-1호선)이 소재하고 있는 등 전반적인 교통여건은 무난한 편임. - 기호(2) : 본건까지 차량접근이 가능하고, 인근에 버스정류장이 소재하는 등 전반적인 교통여건은 무난한 편임. 3) 건물의 구조 기호(1) : 철근콘크리트구조 (철근콘크리트지붕) 지하2층-지상19층 건물 내 제19층 제1906호로서 - 외벽 : 외장타일붙임, 몰탈 위 페인팅 등 - 창호 : 새시조 등 마감임. 기호(2) : 철근콘크리트조 콘크리트평슬래브지붕 지상5층 건물 내 제4층 제403호로서 - 외벽 : 몰탈 위 페인팅, 드라이비트 등 - 창호 : 새시조 등 마감임. 기호(3) : 철근콘크리트구조 콘크리트평스라브지붕 지하2층-지상10층 건물 내 제9층 제908호로서 - 외벽 : 외장타일 붙임, 페인팅 등 - 창호 : 새시조 등 마감임. 4) 이용상태 - 기호(1),(3) : 도시형생활주택으로 이용 중임. - 기호(2) : 다세대주택으로 이용 중임. 5) 설비내역 - 기호(1) : 위생 및 급배수설비, 난방설비, 승강기설비, 기계식주차설비 등을 갖추었음. - 기호(2) : 위생 및 급배수설비, 난방설비 등을 갖추었음. - 기호(3) : 위생 및 급배수설비, 난방설비, 승강기설비 등을 갖추었음. 6) 토지의 형상 및 이용상태 - 기호(1) : 인근지 대비 대체적으로 평탄하게 조성된 세장형의 토지로서 현황 공동주택, 업무시설(오피스텔), 근린생활시설 등 건부지로 이용 중임. - 기호(2) : 인근지 대비 대체적으로 평탄하게 조성된 세장형의 토지로서 현황 공동주택(다세대주택) 건부지로 이용 중임. - 기호(3) : 인근지 대비 대체적으로 평탄하게 조성된 2필지 일단의 부정형 토지로서 현황 공동주택, 교육연구시설, 근린생활시설 등 건부지로 이용 중임. 7) 인접 도로상태등 - 기호(1) : 본건 남측으로 노폭 약 6-8m 내외의 도로에 접하고 있음. - 기호(2) : 본건 서측으로 노폭 약 8m 내외의 도로에 접하고 있음. - 기호(3) : 본건 북측으로 노폭 약 8m 내외의 도로에 접하고 있음. 8) 토지이용계획 및 제한상태 - 기호(1) : 일반상업지역, 방화지구, 소로3류(폭 8m 미만)(접합), 가축사육제한구역, 과밀억제권역, 철도보호지구 임. - 기호(2) : 제2종일반주거지역, 시가지경관지구(일반), 소로2류(폭 8m-10m)(접합), 상대보호구역(사랑아트유치원-부천교육지원청문의), 상대보호구역(상지초-부천교육지원청문의), 상대보호구역(중동사랑아트유치원- 부천교육지원청문의), 과밀억제권역 임. - 기호(3) : 일반상업지역, 방화지구, 소로2류(폭 8m-10m)(접합), 과밀억제권역 임. 9) 공부와의 차이 기호(2)의 경우 후첨 사진용지 및 건물개황도와 같이 제시외물건(판넬조 베란다 확장 약 5㎡)이 소재하고 있으며, 시장 거래관행을 참작하여 주택부분에 포함하여 평가하였음.(제시외물건의 건축법 적법여부 및 양성화 가능성 등은 입찰 시 별도 확인하시기 바람.) 10) 기타참고사항(임대관례 및 기타) - 임대관계 미상임. - 본건은 현장조사 시 이해관계인 협조 부재 등으로 인하여 내부구조를 확인하지 못하였으며, 건축물대장 상 등재된 현황도면, 외관목측, 주변탐문, 동유형 공동주택 일반현황 등을 참작하여 평가하였는 바, 입찰 시 내부구조 등은 별도 확인하시기 바람.

단지정보

에코스마트3
시공사 (주)에스더블종합건설 총 주차 대수 53대 (세대당0.59대)
사용승인 2014년 06월 27일(12년차) 동/세대 1동/89세대
관리실 - 최고층 19층
면적 33A㎡, 34B㎡, 35C㎡, 39㎡, 70㎡

주변 입주 예정

거리 단지명 공급년월 세대 수
※ 해당 자료는 한국부동산원 청약홈 자료에 근거하며, 인근 5km 이내의 물건을 기준으로 산정되었습니다.

등기

등기부현황

채권합계 139,100,000원(3건)
등기일자 권리종류 권리자/채권액 권리
2021-11-05
소유자 이학권 (소유자)
단독소유 -
2023-10-13
(을3)
임차권설정 최우진 인수
전입:2021년10월8일/확정:2021년9월13일 83,000,000
2023-12-27
(갑4)
가압류 우리금융캐피탈주식회사 소멸
말소기준 등기 28,891,335
2024-01-08
(갑5)
가압류 토스뱅크주식회사 소멸
- 27,211,126
2024-01-17
(갑6)
강제경매개시결정
(2024타경30906)
우리금융캐피탈주식회사 소멸
경매기입 등기 29,187,630원
더보기 더보기
※ 신규 발급등기의 분석자료 반영에는 최대 1일까지 소요될수 있습니다.(등기분석,임차인분석,분석노트 등)

임차인

매각물건 명세서

구분 법원 사건번호 작성일자 매각명세서
1 부천지원 2024타경30906[1] 2024.11.28
구분 법원/
사건번호
작성일자 매각명세서
1 부천지원
2024타경30906[1]
2024.11.28

임차인(매각 명세서)

<비고>
최우진:주택임차권 등기일은 2023.10.13.임.

인수되는 권리/가처분(매각 명세서)

2023.10.13. 접수 제78644호로 등기된 임차권등기(단 임차권자가 배당에서 보증금 전액을 변제받지 못할 경우에 한함)

임차인현황

임차인 보증금/차임 전입/확정/배당 대항력
최우진
(주거임차권자 / 소액임차인)
점유부분:
전부
보증:
83,000,000
차임:
-
전입: 2021-10-08
확정: 2021-09-13
배당: -
-

현황 조사서

조사일시

2024년01월24일12시14분 / 2024년01월25일14시00분 / 2024년01월25일15시47분 / 2024년01월25일16시21분

부동산의 현황

-

점유 조사

[목록1]현장에 임하였으나 아무도 만나지 못하여 점유관계 미상임. 별도의 확인이 필요함. 덧붙인 전입세대확인서 및 외국인체류확인서에는 등재자가 없음. 안내문을 우편함에 끼워 두었음.

미납관리비 조사내역

확인일자 미납금액 관리소번호 메모

※ 해당 정보는 참고용으로 제공되며 입찰 전 반드시 관리사무소를 통해 직접 확인하시기 바랍니다.

시세

전문가

그외

관할법원 관할법원 (입찰장소)

인천지방법원 부천지원

경매3계 : 032-320-1114

경기 부천시 상동 445-1 주소복사

Q&A Q&A

Q. 대법원경매가 무엇인가요?누구나 입찰에 참여할 수 있나요?

경매채무자(빌린 자)가 채무를 갚지 않았을 때 채권자(빌려준 자)의 신청으로 대법원이 채무자의 재산을 대신 매각하는 과정을 말합니다.

법원은 감정인에게 자산을 평가하게 한 후, 최저가를 정하여 그 금액 이상으로 입찰한 입찰자 중 최고가 매수인을 결정합니다.

대법원의 주관하에 국민 모두가 참여할 수 있습니다.

Q. 경매 입찰은 어떻게 하나요?누구나 입찰에 참여할 수 있나요?

1. 입찰하시고자 하는 경매물건을 정하신 후, 입찰하시고자 하는 입찰가를 최저가 이상으로 정합니다.

2. 해당 물건의 매각기일에 직접 관할법원에 방문하셔서 법원내에 비치된 입찰서를 작성하신 후 입찰하시면 됩니다.

TIP! 법원에 가실 때에는 입찰보증금(최저가의 10~30%)과 신분증을 지참하여 방문하세요.

Q. 용어가 너무 어려워서 내용을 이해하기 어려워요누구나 입찰에 참여할 수 있나요?

매각기일
매각기일은 경매 법원이 부동산에 대하여 매각 입찰을 진행하는 날을 말합니다.

유찰
매각 기일에 매수하고자 하는 사람이 없어 매각되지 않아 무효가 되는 것을 유찰이라고 합니다.

최저 매각 가격
최초 경매를 진행할때 감정인이 평가한 가격을 기준으로 책정한 금액이며 입찰자는 최저 매각 가격과 동일하거나 이상의 금액으로 입찰해야 합니다. 매각 기일에 있어 입찰자가 없어 유찰되면 통상 20~30% 저감된 금액이 다음 최저 매각 가격이 됩니다.

매수 보증금
경매 물건을 매수하고자 하는사람은 최저 매각 가격의 10분의 1(다르게 정해질 수 있음)에 해당하는 보증금액을 입찰표와 함께 집행관에게 제출하는 방법으로 제공합니다. 매각 절차가 종결된 후 집행관은 최고가 매수신고인이나 차순위매수신고인 이외의 매수신청인에게는 즉시 매수 보증금을 반환해 줍니다.

더 많은 내용을 알고 싶다면 경매마당 학습하기 코너에 준비된 용어설명을 이용해보세요.

경매정보는 법원자료와 일치하도록 하였으나 권리사항변동, 입력착오 등의 원인으로 사실과 다를 수 있습니다. 이용약관에 의거 면책조건으로 제공됨을 알리며, 경매입찰시 반드시 관련 공부를 재확인하시기 바랍니다.

PC버전으로 보기