알림

알림 내역

알림 신청내역/취소

로고 수원지방법원 안산지원 [경매2계] 2025타경344[3]
경기도 시흥시 능곡번영길 30, 6층612-1호 (능곡동,센텀시티)

경기 시흥시 능곡동 898-5

주소복사
경매구분 임의경매
용도 상가
토지 -
건물 44㎡(13.3평)
감정가 274,000,000원
최저가 65,787,000원
보증금 6,578,700원 (10%)
청구액 971,852,183원
개시결정 2025년 02월 10일
감정일 2025년 02월 15일
배당종기 2025년 04월 29일
매각일 2026년 01월 15일
2025타경344[3]
2025타경344[3]
2025타경344[3]
2025타경344[3]
2025타경344[3]
2025타경344[3]
2025타경344[3]
2025타경344[3]
2025타경344[3]
2025타경344[3]
2025타경344[3]
2025타경344[3]
2025타경344[3]
감정가
2억7400만원
최저가 76%
6578만7000원
공고 2026년 01월 15일 입찰 D-56일
유찰 4회대지권미등기
유찰 4회대지권미등기
경매구분 임의경매
용도 상가
토지 -
건물 44㎡(13.3평)
감정가 274,000,000원
최저가 65,787,000원
보증금 6,578,700원 (10%)
청구액 971,852,183원
개시결정 2025년 02월 10일
감정일 2025년 02월 15일
배당종기 2025년 04월 29일
매각일 2026년 01월 15일
공고 2026년 01월 15일 입찰 D-56일

당사자 내역

채무자겸소유자 주OOOOOO
채권자 인OOOOOOOOO
근저당권자 인OOOOOOOOO
근저당권자 삼OOOOOOO
근저당권자 김OO
압류권자 김OOOO
압류권자 서OOOOO
압류권자 시OO
가등기권자 김OO
교부권자 서OOOOO
교부권자 시OO
교부권자 김OOOO
임차인 (주)OOOOOO
가압류권자 인OOOOOOO
교부권자 국OOOOOOOOOOOOO

기일 내역

2026.01.15(10:30)
6578만7000원 진행
2025.10.23(10:30)
9398만2000원 유찰
2025.09.18(10:30)
1억3426만원 유찰
2025.08.14(10:30)
1억9180만원 유찰
2025.06.26(10:30)
2억7400만원 유찰

물건 비고(공고문)

- 대지권 미등기이며 대지권 유무는 알 수 없음, 최저매각가격에는 대지권 가격이 포함됨. - '신청채권자'로부터 토지 및 건물에 대한 분양대금 납부되었다는 보정서(2025.04.11.) 있음.

물건 비고(매각 명세서)

- 대지권 미등기이며 대지권 유무는 알 수 없음, 최저매각가격에는 대지권 가격이 포함됨.
- '신청채권자'로부터 토지 및 건물에 대한 분양대금 납부되었다는 보정서(2025.04.11.) 있음.

현황 조사(현황 조사서)

- 각 공실임 - 관리사무소 직원(남. 60대)에 따르면

점유 조사(현황 조사서)

[목록3]- 본건 부동산에 대하여 현황조사차 방문하였으나 폐문부재로 소유자 및 점유자를 만나지 못하였음.
- `안내문`을 부착하여 두었으나 점유관계를 확인할 수 없음.
- 전입세대확인서, 상가건물임대차현황서 및 외국인체류확인서에 각 등재자 없음.

매각결과+

매각일자 / 결과 응찰자수 최고가 금액/응찰자명 차순위 금액

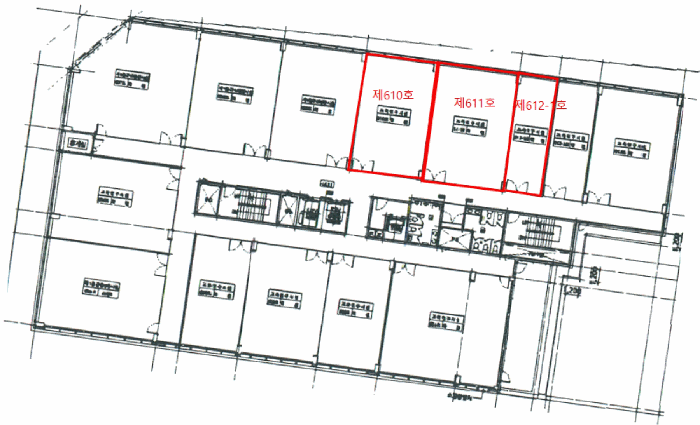
동일사건 물건목록

번호 주소 상태/입찰일 물건내역
1 경기도 시흥시 능곡번영길 30, 6층610호 (능곡동,센텀시티) 공고
2026.01.15
바로가기
2 경기도 시흥시 능곡번영길 30, 6층611호 (능곡동,센텀시티) 공고
2026.01.15
바로가기
3
본건
경기도 시흥시 능곡번영길 30, 6층612-1호 (능곡동,센텀시티) 공고
2026.01.15
-
부동산
등기
임차인
그 외

부동산

매각목록

부동산 현황

1) 위치 및 주위환경 본건은 경기도 시흥시 능곡동 소재 ""서해선 시흥능곡역"" 서측 인근에 위치하며, 주변은 근린생활시설, 다세대주택, 아파트 등이 혼재하는 주거상업지대임. 2) 교통상황 본건까지 차량진출입이 가능하며, 인근노선버스정류장 및 지하철역까지의 거리 등을 고려시 대중교통환경은 양호함. 3) 건물의 구조 철근콘크리트구조 평스라브지붕 8층 건(사용승인:2022.04.12) 내, 제6층 제610호, 제611호, 제612-1호로, 외벽: 돌붙임 마감 및 강화유리마감 등, 내벽: 인테리어마감 등, 창호: 시스템창호 등임. 4) 이용상태 기호(1), 기호(2), 기호(2) 공히 공부상 학원(근린생활시설)임. 5) 설비내역 공용의 기본급배수 및 위생설비, 승강기설비 등을 구비하고있음. 6) 토지의 형상 및 이용상태 인접토지와 등고평탄한 가장형의 토지로 상업용건부지로 이용중임. 7) 인접 도로상태등 본건 북측 노폭 약 30m 내외의 아스팔트포장도로에 접하며, 서측으로 노폭 약 25m 내외의 아스팔트포장도로에 접하며, 남측으로 노폭 약 15m 및 6m 내외의 포장도로에 접함. 8) 토지이용계획 및 제한상태 도시지역 , 준주거지역 , 지구단위계획구역 , 대로3류(폭 25m~30m)(보조간선도로)(접합) , 소로3류(폭 8m 미만)(특수도로)(접합) , 중로1류(폭 20m~25m)(집산도로)(접합) , 중로2류(폭 15m~20m)(국지도로)(접합) 가축사육제한구역<가축분뇨의 관리 및 이용에 관한 법률>, 공공주택지구<공공주택 특별법>, 과밀억제권역<수도권정비계획법> 임. 9) 공부와의 차이 기호(1), 기호(2), 기호(3)은 대지권미등기 상태로, 적정 대지권의 귀속을 전제로 감정평가하였으니, 경매진행시 재확인바람. 10) 기타참고사항(임대관례 및 기타) 임대관계는 미상임.

감정평가

주변 입주 예정

거리 단지명 공급년월 세대 수
※ 해당 자료는 한국부동산원 청약홈 자료에 근거하며, 인근 5km 이내의 물건을 기준으로 산정되었습니다.

등기

등기부현황

채권합계 1,842,670,000원(4건)
등기일자 권리종류 권리자/채권액 권리
2022-11-04
소유자 주식회사조은수(소유자) 멤버십
단독소유 -
2022-11-04
(을1)
근저당권설정 인천원예농업협동조합 멤버십
말소기준 등기 1,140,000,000원
2023-01-06
(을2)
근저당권설정 삼현건설주식회사 멤버십
- 292,800,000원
2023-03-15
(갑3)
압류 서인천세무서장 멤버십
- -
2025-04-17
(갑3-1)
공매공고 멤버십
- -
2024-03-08
(갑4)
소유권이전청구권가등기 김재희 멤버십
- -
2024-03-29
(갑5)
압류 시흥시 멤버십
- -
2024-05-22
(을3)
근저당권설정 김정민 멤버십
- 400,000,000원
2025-02-10
(갑6)
임의경매개시결정
(2025타경344)
인천원예농업협동조합 멤버십
경매기입 등기 971,852,183원
2025-02-13
(갑7)
가압류 인천신용보증재단 멤버십
- 9,876,778원
더보기 더보기
※ 신규 발급등기의 분석자료 반영에는 최대 1일까지 소요될수 있습니다.(등기분석,임차인분석,분석노트 등)

임차인

매각물건 명세서

구분 법원 사건번호 작성일자 매각명세서
1 안산지원 2025타경344[3] 2025. 6. 9.
구분 법원/
사건번호
작성일자 매각명세서
1 안산지원
2025타경344[3]
2025. 6. 9.

물건 비고(매각 명세서)

- 대지권 미등기이며 대지권 유무는 알 수 없음, 최저매각가격에는 대지권 가격이 포함됨.
- '신청채권자'로부터 토지 및 건물에 대한 분양대금 납부되었다는 보정서(2025.04.11.) 있음.

임차인현황

임차인 보증금/차임 전입/확정/배당 대항력
매각물건명세서상 임차인이 존재하지 않습니다.

현황 조사서

조사일시

2025년02월19일14시04분

부동산의 현황

- 각 공실임 - 관리사무소 직원(남. 60대)에 따르면

점유 조사

[목록3]- 본건 부동산에 대하여 현황조사차 방문하였으나 폐문부재로 소유자 및 점유자를 만나지 못하였음.
- `안내문`을 부착하여 두었으나 점유관계를 확인할 수 없음.
- 전입세대확인서, 상가건물임대차현황서 및 외국인체류확인서에 각 등재자 없음.

미납관리비 조사내역

확인일자 미납금액 관리소번호 메모

※ 해당 정보는 참고용으로 제공되며 입찰 전 반드시 관리사무소를 통해 직접 확인하시기 바랍니다.

시세

전문가

그외

관할법원 관할법원 (입찰장소)

수원지방법원 안산지원

경매2계 : 031-481-1114

경기 안산시 단원구 고잔동 711 주소복사

Q&A Q&A

Q. 대법원경매가 무엇인가요?누구나 입찰에 참여할 수 있나요?

경매채무자(빌린 자)가 채무를 갚지 않았을 때 채권자(빌려준 자)의 신청으로 대법원이 채무자의 재산을 대신 매각하는 과정을 말합니다.

법원은 감정인에게 자산을 평가하게 한 후, 최저가를 정하여 그 금액 이상으로 입찰한 입찰자 중 최고가 매수인을 결정합니다.

대법원의 주관하에 국민 모두가 참여할 수 있습니다.

Q. 경매 입찰은 어떻게 하나요?누구나 입찰에 참여할 수 있나요?

1. 입찰하시고자 하는 경매물건을 정하신 후, 입찰하시고자 하는 입찰가를 최저가 이상으로 정합니다.

2. 해당 물건의 매각기일에 직접 관할법원에 방문하셔서 법원내에 비치된 입찰서를 작성하신 후 입찰하시면 됩니다.

TIP! 법원에 가실 때에는 입찰보증금(최저가의 10~30%)과 신분증을 지참하여 방문하세요.

Q. 용어가 너무 어려워서 내용을 이해하기 어려워요누구나 입찰에 참여할 수 있나요?

매각기일
매각기일은 경매 법원이 부동산에 대하여 매각 입찰을 진행하는 날을 말합니다.

유찰
매각 기일에 매수하고자 하는 사람이 없어 매각되지 않아 무효가 되는 것을 유찰이라고 합니다.

최저 매각 가격
최초 경매를 진행할때 감정인이 평가한 가격을 기준으로 책정한 금액이며 입찰자는 최저 매각 가격과 동일하거나 이상의 금액으로 입찰해야 합니다. 매각 기일에 있어 입찰자가 없어 유찰되면 통상 20~30% 저감된 금액이 다음 최저 매각 가격이 됩니다.

매수 보증금
경매 물건을 매수하고자 하는사람은 최저 매각 가격의 10분의 1(다르게 정해질 수 있음)에 해당하는 보증금액을 입찰표와 함께 집행관에게 제출하는 방법으로 제공합니다. 매각 절차가 종결된 후 집행관은 최고가 매수신고인이나 차순위매수신고인 이외의 매수신청인에게는 즉시 매수 보증금을 반환해 줍니다.

더 많은 내용을 알고 싶다면 경매마당 학습하기 코너에 준비된 용어설명을 이용해보세요.

경매정보는 법원자료와 일치하도록 하였으나 권리사항변동, 입력착오 등의 원인으로 사실과 다를 수 있습니다. 이용약관에 의거 면책조건으로 제공됨을 알리며, 경매입찰시 반드시 관련 공부를 재확인하시기 바랍니다.

PC버전으로 보기