알림

알림 내역

알림 신청내역/취소

로고 광주지방법원 본원 [경매3계] 2023타경7650
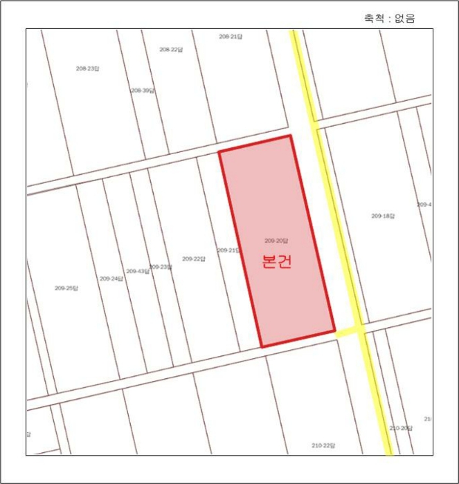
광주광역시 광산구 우산동 209-20

광주 광산구 우산동 209-20

주소복사
경매구분 임의경매
용도
토지 2979㎡(901.1평)
건물 -
감정가 1,403,109,000원
최저가 785,741,000원
보증금 78,580,000원 (10%)
청구액 223,642,828원
접수일 2023년 09월 20일
개시결정 2023년 10월 04일
감정일 2023년 10월 10일
매각일 2024년 05월 02일
2023타경7650
2023타경7650
2023타경7650
2023타경7650
2023타경7650
2023타경7650
2023타경7650
2023타경7650
2023타경7650
2023타경7650
2023타경7650
2023타경7650
2023타경7650
2023타경7650
감정가
14억310만9000원
최저가 44%
7억8574만1000원
기각 2024년 05월 02일
유찰 2회농지취득자격증명
유찰 2회농지취득자격증명
경매구분 임의경매
용도
토지 2979㎡(901.1평)
건물 -
감정가 1,403,109,000원
최저가 785,741,000원
보증금 78,580,000원 (10%)
청구액 223,642,828원
접수일 2023년 09월 20일
개시결정 2023년 10월 04일
감정일 2023년 10월 10일
매각일 2024년 05월 02일
기각 2024년 05월 02일

당사자 내역

채무자겸소유자 유OO
채무자겸소유자 이OO
채무자겸소유자 이OO
채무자겸소유자 이OO
채무자겸소유자 이OO
채무자겸소유자 이OO
채권자 광OOOOOOO
교부권자 담OO
임차인 황OO

기일 내역

기각
2024.05.09
최고가매각허가결정
2024.05.02
10억120만원 매각
7억8574만1000원 최저가
2024.03.21
9억8217만6000원 유찰
2024.02.08
14억310만9000원 유찰

물건 비고(공고문)

- 농지취득자격증명 제출 요(미제출시 보증금 미반환) - 공부상 지목은 "답"이나, 현황은 "전"임 - 지상에 이동 가능한 비닐하우스 5개동 매각에서 제외 - 지상에 타인 소유의 관정 1식 매각에서 제외 - 본 건 토지의 동측은 인접토지(우산동 222-1번지)를 점유하여 이용중인 것으로 보여 정확한 위치 및 경계는 측량을 요함

물건 비고(매각 명세서)

- 농지취득자격증명 제출 요(미제출시 보증금 미반환)
- 공부상 지목은 "답"이나, 현황은 "전"임
- 지상에 이동 가능한 비닐하우스 5개동 매각에서 제외
- 지상에 타인 소유의 관정 1식 매각에서 제외
- 본 건 토지의 동측은 인접토지(우산동 222-1번지)를 점유하여 이용중인 것으로 보여 정확한 위치 및 경계는 측량을 요함

점유 조사(현황 조사서)

[목록1]현 경작자 황인구에게 문의함. 20여년전부터 소유자들의 부 이상혁과 계약하여 경작중이라고 진술함. 현 지번 209-20번지를 제외한 건너편 논 우산동 207-10번지까지 한꺼번에 계약했다고 함. 지상에 경작인 소유의 비닐하우스 4동 소재함.

매각결과+

매각일자 / 결과 응찰자수 최고가 금액/응찰자명 차순위 금액
부동산
등기
임차인
그 외

부동산

매각목록

※ 건축물 도면은 ‘건축물 대장의 기재 및 관리에 관한 규칙’ 에 따라 현재 경매가 진행중인 물건에만 제공됩니다.
※ 지분물건의 경우 면적은 지분에 해당하는 면적이 아닌 전체 면적으로 표기됩니다

감정평가

감정평가서 요약

1.토지감정요항표 1) 위치 및 주위환경 본건은 광주광역시 광산구 우산동 소재 "신창마을" 북서측 인근에 위치하며, 주위는 동류형의 답 및 기존마을 내 주택 등이 소재하는 시가지주변 경지정리지대임. 2) 교통상황 본건까지 차량 접근이 가능하고, 인근으로는 간선도로 등이 지나고 있어 전반적인 교통 사정은 보통인 편임. 3) 형태 및 이용상태 세장형의 토지로서, 전(비닐하우스부지)으로 이용중임. 4) 인접 도로상태 남동측으로 세로에 접하고 있음, 5) 토지이용계획 및 제한상태 생산녹지지역, 비행안전제4구역(전술)<군사기지 및 군사시설 보호법>, 비행안전제5구역(전술)<군사기지 및 군사시설 보호법>, 군용비행장 소음대책구역 제2종구역(2021-12-29)<군용비행장.군사격장 소음방지 및 피해보상에 관한 법률>, 중점경관관리구역(2023-07-20)임. 6) 제시목록 외의 물건 없음. 7) 공부와의 차이 공부상 지목은 "답"이나, 현 전으로 이용중임. 8) 기타참고사항(임대관례 및 기타) - 임대관계는 미상임. - 본건 지상에 해체, 철거 이동이 가능한 비닐하우스 5개동 및 관정 1식이 소재함.

주변 입주 예정

거리 단지명 공급년월 세대 수
※ 해당 자료는 한국부동산원 청약홈 자료에 근거하며, 인근 5km 이내의 물건을 기준으로 산정되었습니다.

등기

등기부현황

채권합계 273,000,000원(1건)
등기일자 권리종류 권리자/채권액 권리
2010-04-05
(을1)
근저당권설정 광주농업협동조합 소멸
말소기준 등기 273,000,000원
2023-10-04
(갑3)
임의경매개시결정
(2023타경7650)
광주농업협동조합 소멸
경매기입 등기 223,642,828원
※ 신규 발급등기의 분석자료 반영에는 최대 1일까지 소요될수 있습니다.(등기분석,임차인분석,분석노트 등)

임차인

매각물건 명세서

구분 법원 사건번호 작성일자 매각명세서
1 광주지법 2023타경7650[1] 2023.12.27
구분 법원/
사건번호
작성일자 매각명세서
1 광주지법
2023타경7650[1]
2023.12.27

물건 비고(매각 명세서)

- 농지취득자격증명 제출 요(미제출시 보증금 미반환)
- 공부상 지목은 "답"이나, 현황은 "전"임
- 지상에 이동 가능한 비닐하우스 5개동 매각에서 제외
- 지상에 타인 소유의 관정 1식 매각에서 제외
- 본 건 토지의 동측은 인접토지(우산동 222-1번지)를 점유하여 이용중인 것으로 보여 정확한 위치 및 경계는 측량을 요함

임차인현황

임차인 보증금/차임 전입/확정/배당 대항력
[현황조사]
황인구
(답임차인)
점유부분:
209-20, 207-10
보증:
-
차임:
1년 1,500,000
사업: 미전입
확정: -
배당: -
-

현황 조사서

조사일시

2023년10월08일14시50분

부동산의 현황

-

점유 조사

[목록1]현 경작자 황인구에게 문의함. 20여년전부터 소유자들의 부 이상혁과 계약하여 경작중이라고 진술함. 현 지번 209-20번지를 제외한 건너편 논 우산동 207-10번지까지 한꺼번에 계약했다고 함. 지상에 경작인 소유의 비닐하우스 4동 소재함.

1
소재지 광주광역시광산구우산동209-20
점유인 황인구(임차인)
점유부분 209-20,207-10(기타 - 답)
점유기간 미상
보증금/차임 미상/1년 1,500,000
전입/확정일자 미전입/미상

미납관리비 조사내역

확인일자 미납금액 관리소번호 메모

※ 해당 정보는 참고용으로 제공되며 입찰 전 반드시 관리사무소를 통해 직접 확인하시기 바랍니다.

시세

전문가

그외

관할법원 관할법원 (입찰장소)

광주지방법원 본원

경매3계 : 062-239-1114

광주 동구 지산동 342-1 주소복사

Q&A Q&A

Q. 대법원경매가 무엇인가요?누구나 입찰에 참여할 수 있나요?

경매채무자(빌린 자)가 채무를 갚지 않았을 때 채권자(빌려준 자)의 신청으로 대법원이 채무자의 재산을 대신 매각하는 과정을 말합니다.

법원은 감정인에게 자산을 평가하게 한 후, 최저가를 정하여 그 금액 이상으로 입찰한 입찰자 중 최고가 매수인을 결정합니다.

대법원의 주관하에 국민 모두가 참여할 수 있습니다.

Q. 경매 입찰은 어떻게 하나요?누구나 입찰에 참여할 수 있나요?

1. 입찰하시고자 하는 경매물건을 정하신 후, 입찰하시고자 하는 입찰가를 최저가 이상으로 정합니다.

2. 해당 물건의 매각기일에 직접 관할법원에 방문하셔서 법원내에 비치된 입찰서를 작성하신 후 입찰하시면 됩니다.

TIP! 법원에 가실 때에는 입찰보증금(최저가의 10~30%)과 신분증을 지참하여 방문하세요.

Q. 용어가 너무 어려워서 내용을 이해하기 어려워요누구나 입찰에 참여할 수 있나요?

매각기일
매각기일은 경매 법원이 부동산에 대하여 매각 입찰을 진행하는 날을 말합니다.

유찰
매각 기일에 매수하고자 하는 사람이 없어 매각되지 않아 무효가 되는 것을 유찰이라고 합니다.

최저 매각 가격
최초 경매를 진행할때 감정인이 평가한 가격을 기준으로 책정한 금액이며 입찰자는 최저 매각 가격과 동일하거나 이상의 금액으로 입찰해야 합니다. 매각 기일에 있어 입찰자가 없어 유찰되면 통상 20~30% 저감된 금액이 다음 최저 매각 가격이 됩니다.

매수 보증금
경매 물건을 매수하고자 하는사람은 최저 매각 가격의 10분의 1(다르게 정해질 수 있음)에 해당하는 보증금액을 입찰표와 함께 집행관에게 제출하는 방법으로 제공합니다. 매각 절차가 종결된 후 집행관은 최고가 매수신고인이나 차순위매수신고인 이외의 매수신청인에게는 즉시 매수 보증금을 반환해 줍니다.

더 많은 내용을 알고 싶다면 경매마당 학습하기 코너에 준비된 용어설명을 이용해보세요.

경매정보는 법원자료와 일치하도록 하였으나 권리사항변동, 입력착오 등의 원인으로 사실과 다를 수 있습니다. 이용약관에 의거 면책조건으로 제공됨을 알리며, 경매입찰시 반드시 관련 공부를 재확인하시기 바랍니다.

PC버전으로 보기