알림

알림 내역

알림 신청내역/취소

로고 광주지방법원 목포지원 [경매2계] 2024타경57150
전라남도 목포시 영산로245번길 26-1

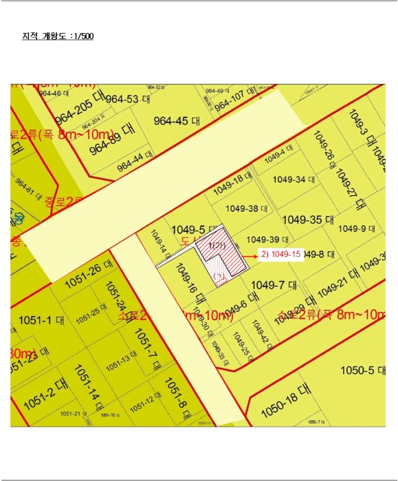
전남 목포시 용당동 1049-15

주소복사
경매구분 강제경매
용도 단독주택
토지 137.2㎡(41.5평)
건물 135.11㎡(40.9평)
감정가 77,415,600원
최저가 22,197,000원
보증금 2,219,700원 (10%)
청구액 20,206,113원
개시결정 2024년 10월 28일
감정일 2024년 11월 12일
배당종기 2025년 01월 27일
매각일 2026년 01월 26일
2024타경57150
2024타경57150
2024타경57150
2024타경57150
2024타경57150
2024타경57150
2024타경57150
2024타경57150
2024타경57150
2024타경57150
감정가
7741만5600원
최저가 71%
2219만7000원
공고 2026년 01월 26일 입찰 D-41일
유찰 5회임차권등기
유찰 5회임차권등기
경매구분 강제경매
용도 단독주택
토지 137.2㎡(41.5평)
건물 135.11㎡(40.9평)
감정가 77,415,600원
최저가 22,197,000원
보증금 2,219,700원 (10%)
청구액 20,206,113원
개시결정 2024년 10월 28일
감정일 2024년 11월 12일
배당종기 2025년 01월 27일
매각일 2026년 01월 26일
공고 2026년 01월 26일 입찰 D-41일

당사자 내역

채무자겸소유자 김OO
채권자 서OOOOOOOOOO
근저당권자 꿀OOOOOOO
압류권자 목OOOO
압류권자 국OOOOOOOOOOOO
압류권자 목OO
교부권자 목OOOO
교부권자 목OO
교부권자 국OOOOOOOOOOOO
임차권자 한OOOOOOO

기일 내역

2026.01.26(10:00)
2219만7000원 진행
2025.12.15(10:00)
2774만6000원 유찰
2025.11.03(10:00)
3468만2000원 유찰
2025.09.08(10:00)
4335만3000원 유찰
2025.07.28(10:00)
5419만1000원 유찰
2025.06.02(10:00)
7741만5600원 유찰

공고 내용 수정(2025년09월04일)

2025.09.02.자 임차권자 한국토지주택공사로부터 보증금 전액을 배당받지 못하더라도 매수인에 대해 임대차관계의 존속을 주장하거나 잔존 보증금을 청구하지 않겠다는 확약서가 제출됨

물건 비고(공고문)

일괄매각, 제시외 건물 포함 목록1: 공부상 면적은 56.86㎡이나 현황은 78.25㎡, 공부상 기와지붕이나 현황은 함석지붕임, 공가로 외벽 벽체 및 창호 철거된 상태 2025. 9. 2. 임차권자 한국토지주택공사로부터 보증금 전액을 배당받지 못하더라도 매수인에 대해 임대차관계의 존속을 주장하거나 잔존 보증금을 청구하지 않겠다는 확약서가 제출됨

임차인(매각 명세서)

한국토지주택공사:주택임차권등기권자로서 주택임차권 등기일은 2019. 10. 4.임

물건 비고(매각 명세서)

일괄매각, 제시외 건물 포함목록1: 공부상 면적은 56.86㎡이나 현황은 78.25㎡, 공부상 기와지붕이나 현황은 함석지붕임, 공가로 외벽 벽체 및 창호 철거된 상태2025.9.2. 임차권자 한국토지주택공사로부터 보증금 전액을 배당받지 못하더라도 매수인에 대해 임대차관계의 존속을 주장하거나 잔존 보증금을 청구하지 않겠다는 확약서가 제출됨

현황 조사(현황 조사서)

- 본건 기호(2) 목적물 지상 위에 기호(1) 목적물 및 제시외 건물(ㄱ-조적조 슬래브지붕 화장실)이 소재하며, 제시외 건물(ㄱ)은 기호(1) 목적물의 종물 및 부합물로 판단됨.

점유 조사(현황 조사서)

[목록2]- 본건 목적물에 방문하여 확인한 바 내부 수리 중에 있으나 관계자를 만나지 못함.
- 전입세대확인서를 확인한 바 말소자 이외 전입세대 없음.

매각결과+

매각일자 / 결과 응찰자수 최고가 금액/응찰자명 차순위 금액
부동산
등기
임차인
그 외

부동산

매각목록

부동산 현황

1) 위치 및 주위환경 본건은 전라남도 목포시 용당동 소재 "용당1동행정복지센타" 남측 인근에 위치하며, 주위는 단독주택, 시장,근린생활시설 등으로 이루어진 주상복합지대임. 2) 교통상황 인근에 버스승강장이 소재하여 대중교통 이용사정은 무난함. 3) 형태 및 이용상태 자루형 평지의 단독주택 부지임. 4) 인접 도로상태 서측으로 소로한면(동부시장 길)과 본건 자루부분이 접함. 5) 토지이용계획 및 제한상태 제1종일반주거지역, 방재지구,가축사육제한구역<가축분뇨의 관리 및 이용에 관한 법률>, 상대보호구역<교육환경 보호에 관한 법률>임. 6) 제시목록 외의 물건 별지 "건물개황도" 및 "사진용지" 와 같이 제시외건물(ㄱ)이 소재함. 7) 공부와의 차이 없음. 8) 기타참고사항(임대관례 및 기타) 임대관계는 미상임. 1) 건물의 구조 1(가) : 목조 함석지붕 단층 단독주택으로서 외벽 : 벽체 철거된 상태임. 내벽 : 세멘몰탈(일부 남아있음) 창호 : 철거된 상태임. 2) 이용상태 단독주택(공가)로서 관리되지 않고 방치된 상태임. 3) 설비내역 일반적인 급 배수시설 ,위생시설 등이 되어 있으나 작동 여부는 확인 불가함.. 4) 부합물 및 종물 별지 "건물개황도" 및 "사진용지" 와 같이 종물 성격의 제시외건물 화장실 (ㄱ)이 소재함. 5) 공부와의 차이 공부상 면적은 56.86㎡ 이나 현황은 78.25㎡이며, 공부상 기와지붕이나 현황은 함석지붕임. 6) 기타참고사항(임대관례 및 기타) 임대관계는 미상임.

감정평가

주변 입주 예정

거리 단지명 공급년월 세대 수
※ 해당 자료는 한국부동산원 청약홈 자료에 근거하며, 인근 5km 이내의 물건을 기준으로 산정되었습니다.

등기

등기부현황

채권합계 26,000,000원(1건)
등기일자 권리종류 권리자/채권액 권리
2013-10-08
소유자 김은영 (소유자) 멤버십
단독소유 -
2013-10-17
(을3)
근저당권설정 꿀벌신용협동조합 멤버십
말소기준 등기 26,000,000원
2016-12-06
(갑5)
압류 목포세무서 멤버십
- -
2019-10-30
(갑5-1)
공매공고 멤버십
- -
2017-08-31
(갑6)
압류 국민건강보험공단 멤버십
- -
2019-10-04
(을4)
임차권설정 한국토지주택공사 멤버십
- 20000000원
(입주자부담금1000000원 포함)
2024-10-28
(갑7)
강제경매개시결정
(2024타경57150)
서울보증보험주식회사 멤버십
경매기입 등기 20,206,113원
더보기 더보기
※ 신규 발급등기의 분석자료 반영에는 최대 1일까지 소요될수 있습니다.(등기분석,임차인분석,분석노트 등)

임차인

매각물건 명세서

구분 법원 사건번호 작성일자 매각명세서
1 목포지원 2024타경57150[1] 2025. 11. 5.
2 목포지원 2024타경57150[1] 2025. 9. 4.
3 목포지원 2024타경57150[1] 2025. 4. 28.
구분 법원/
사건번호
작성일자 매각명세서
1 목포지원
2024타경57150[1]
2025. 11. 5.
2 목포지원
2024타경57150[1]
2025. 9. 4.
3 목포지원
2024타경57150[1]
2025. 4. 28.

임차인(매각 명세서)

한국토지주택공사:주택임차권등기권자로서 주택임차권 등기일은 2019. 10. 4.임

물건 비고(매각 명세서)

일괄매각, 제시외 건물 포함목록1: 공부상 면적은 56.86㎡이나 현황은 78.25㎡, 공부상 기와지붕이나 현황은 함석지붕임, 공가로 외벽 벽체 및 창호 철거된 상태2025.9.2. 임차권자 한국토지주택공사로부터 보증금 전액을 배당받지 못하더라도 매수인에 대해 임대차관계의 존속을 주장하거나 잔존 보증금을 청구하지 않겠다는 확약서가 제출됨

임차인현황

임차인 보증금/차임 전입/확정/배당 대항력
한국토지주택공사
(조사된 내용없음 임차권자)
점유부분:
건물 전부
보증:
20,000,000(입주자부담금 10,000,000원 포함)
차임:
-
사업: 2013-10-17
확정: 2013-01-07
배당: -
멤버십

현황 조사서

조사일시

2024년11월05일 / 2024년11월11일

부동산의 현황

- 본건 기호(2) 목적물 지상 위에 기호(1) 목적물 및 제시외 건물(ㄱ-조적조 슬래브지붕 화장실)이 소재하며, 제시외 건물(ㄱ)은 기호(1) 목적물의 종물 및 부합물로 판단됨.

점유 조사

[목록2]- 본건 목적물에 방문하여 확인한 바 내부 수리 중에 있으나 관계자를 만나지 못함.
- 전입세대확인서를 확인한 바 말소자 이외 전입세대 없음.

미납관리비 조사내역

확인일자 미납금액 관리소번호 메모

※ 해당 정보는 참고용으로 제공되며 입찰 전 반드시 관리사무소를 통해 직접 확인하시기 바랍니다.

시세

전문가

그외

관할법원 관할법원 (입찰장소)

광주지방법원 목포지원

경매2계 : 061-270-6600

전남 목포시 옥암동 1201 주소복사

Q&A Q&A

Q. 대법원경매가 무엇인가요?누구나 입찰에 참여할 수 있나요?

경매채무자(빌린 자)가 채무를 갚지 않았을 때 채권자(빌려준 자)의 신청으로 대법원이 채무자의 재산을 대신 매각하는 과정을 말합니다.

법원은 감정인에게 자산을 평가하게 한 후, 최저가를 정하여 그 금액 이상으로 입찰한 입찰자 중 최고가 매수인을 결정합니다.

대법원의 주관하에 국민 모두가 참여할 수 있습니다.

Q. 경매 입찰은 어떻게 하나요?누구나 입찰에 참여할 수 있나요?

1. 입찰하시고자 하는 경매물건을 정하신 후, 입찰하시고자 하는 입찰가를 최저가 이상으로 정합니다.

2. 해당 물건의 매각기일에 직접 관할법원에 방문하셔서 법원내에 비치된 입찰서를 작성하신 후 입찰하시면 됩니다.

TIP! 법원에 가실 때에는 입찰보증금(최저가의 10~30%)과 신분증을 지참하여 방문하세요.

Q. 용어가 너무 어려워서 내용을 이해하기 어려워요누구나 입찰에 참여할 수 있나요?

매각기일
매각기일은 경매 법원이 부동산에 대하여 매각 입찰을 진행하는 날을 말합니다.

유찰
매각 기일에 매수하고자 하는 사람이 없어 매각되지 않아 무효가 되는 것을 유찰이라고 합니다.

최저 매각 가격
최초 경매를 진행할때 감정인이 평가한 가격을 기준으로 책정한 금액이며 입찰자는 최저 매각 가격과 동일하거나 이상의 금액으로 입찰해야 합니다. 매각 기일에 있어 입찰자가 없어 유찰되면 통상 20~30% 저감된 금액이 다음 최저 매각 가격이 됩니다.

매수 보증금
경매 물건을 매수하고자 하는사람은 최저 매각 가격의 10분의 1(다르게 정해질 수 있음)에 해당하는 보증금액을 입찰표와 함께 집행관에게 제출하는 방법으로 제공합니다. 매각 절차가 종결된 후 집행관은 최고가 매수신고인이나 차순위매수신고인 이외의 매수신청인에게는 즉시 매수 보증금을 반환해 줍니다.

더 많은 내용을 알고 싶다면 경매마당 학습하기 코너에 준비된 용어설명을 이용해보세요.

경매정보는 법원자료와 일치하도록 하였으나 권리사항변동, 입력착오 등의 원인으로 사실과 다를 수 있습니다. 이용약관에 의거 면책조건으로 제공됨을 알리며, 경매입찰시 반드시 관련 공부를 재확인하시기 바랍니다.

PC버전으로 보기