알림

알림 내역

알림 신청내역/취소

대법원
물건내역
사건내역
기일내역
송달내역
현황조사
지도
사진보기
문서
매각기일공고문
매각물건명세서
감정평가서
등기부등본
전입세대열람원 M
건축물대장 M
분석
예상배당표 M
수익률분석 M
입찰가분석 M
조회수분석 M
인근지역통계 M
사이트
대법원
국토부 실거래가
토지이음
아실
네이버 단지정보
네이버 매물정보
호갱노노
부동산플래닛
로고 광주지방법원 해남지원 [경매3계] 2020타경2878
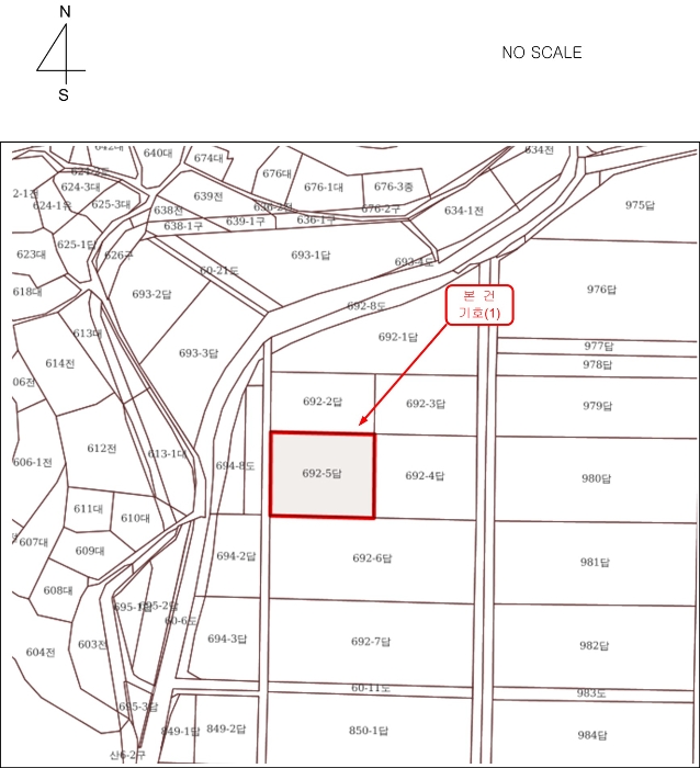
전라남도 해남군 화산면 월호리 692-5

전남 해남군 화산면 월호리 692-5

주소복사
경매구분 공유물분할을위한경매
용도
토지 2000㎡(605평)
건물 -
감정가 24,000,000원
최저가 16,800,000원
보증금 1,680,000원 (10%)
청구액 0원
개시결정 2020년 07월 24일
감정일 2020년 08월 10일
배당종기 2020년 10월 16일
매각일 2021년 06월 14일
2020타경2878
2020타경2878
2020타경2878
2020타경2878
2020타경2878
2020타경2878
감정가
2400만원
낙찰가 29%
1711만1100원
배당종결 2021년 06월 14일
유찰 1회형식적경매특별매각조건농지취득자격증명
유찰 1회형식적경매특별매각조건농지취득자격증명
경매구분 공유물분할을위한경매
용도
토지 2000㎡(605평)
건물 -
감정가 24,000,000원
최저가 16,800,000원
보증금 1,680,000원 (10%)
청구액 0원
개시결정 2020년 07월 24일
감정일 2020년 08월 10일
배당종기 2020년 10월 16일
매각일 2021년 06월 14일
배당종결 2021년 06월 14일

당사자 내역

신청인 김OO
가압류권자 화OOOOOOOOOOOOOOOOOOO
교부권자 국OOOOOOOOOOOOO
상대방겸소유자 김OO
상대방겸소유자 김OO
신청인겸소유자 김OO

기일 내역

2021.07.28
납부 (2021.07.21)
2021.06.21
최고가매각허가결정
2021.06.14
1711만1100원 매각
1680만원 최저가
2021.05.03
2400만원 유찰

매각공고

물건 비고(공고문)

농지취득자격증명제출요(미제출시 매수신청보증금 미반환), 현황은 "전"임

물건 비고(매각 명세서)

특별매각조건있음[이 사건 토지 취득 시 농지취득자격증명을 제출하여야 하며 최고가 매수신고 후 매각허가기일까지 제출하지
아니한 경우에는 부득이한 사유가 없는 한 매수보증금을 반환하지 아니함], 현황은 "전"임

현황 조사(현황 조사서)

인접토지와 경계 없이 일단지의 토지로 이용중임.

점유 조사(현황 조사서)

[목록1]현장에서 점유자를 만나지 못하여 점유관게를 알 수 없음.

매각결과+

매각일자 / 결과 응찰자수 최고가 금액/응찰자명 차순위 금액

현황정보

매각목록

부동산 현황

1.토지감정요항표 1) 위치 및 주위환경 본건 토지는 전라남도 해남군 화산면 월호리 소재 "선창리회관" 남동측 인근에 위치하는 토지로서 주변은 전, 주택, 창고 등이 혼재하는 지대임. 2) 교통상황 본건 부근까지 차량접근이 가능하며 제반 교통상황은 보통인 편임. 3) 형태 및 이용상태 본건 토지는 정방형 토지로서 전으로 이용중임. 4) 인접 도로상태 본건 토지는 지적도상 맹지임. 5) 토지이용계획 및 제한상태 본건 토지는 농림지역, 가축사육제한구역(모든 가축 사육 제한 구역)<가축분뇨의 관리 및 이용에 관한 법률>, 농업진흥구역<농지법>임. 6) 제시목록 외의 물건 -. 7) 공부와의 차이 본건 토지는 공부상 지목이 "답"이나 현황 "전"으로 이용중임. 8) 기타참고사항(임대관례 및 기타) 임대관계는 미상임.

주변 입주 예정

거리 단지명 공급년월 세대 수
※ 해당 자료는 한국부동산원 청약홈 자료에 근거하며, 인근 5km 이내의 물건을 기준으로 산정되었습니다.

등기

등기부현황

채권합계 -
등기일자 권리종류 권리자/채권액 권리
1998-08-14
(갑2)
가압류 OOOO 소멸
말소기준 등기 10,000,000원
2010-02-16
(갑2-1)
가압류변경 OOOO 소멸
- 목적 3번김혜경지분김철준지분가압류
2020-07-24
(갑14)
임의경매개시결정
(2020타경2878)
OOOO 소멸
경매기입 등기
※ 신규 발급등기의 분석자료 반영에는 최대 1일까지 소요될수 있습니다.(등기분석,임차인분석,분석노트 등)

임차인

매각물건 명세서

구분 법원 사건번호 작성일자 매각명세서
1 해남지원 2020타경2878[1] 2021.05.24
구분 법원/
사건번호
작성일자 매각명세서
1 해남지원
2020타경2878[1]
2021.05.24

물건 비고(매각 명세서)

특별매각조건있음[이 사건 토지 취득 시 농지취득자격증명을 제출하여야 하며 최고가 매수신고 후 매각허가기일까지 제출하지
아니한 경우에는 부득이한 사유가 없는 한 매수보증금을 반환하지 아니함], 현황은 "전"임

임차인현황

임차인 보증금/차임 전입/확정/배당 대항력
매각물건명세서상 임차인이 존재하지 않습니다.

현황 조사서

조사일시

2020년08월05일17시00분

부동산의 현황

인접토지와 경계 없이 일단지의 토지로 이용중임.

점유 조사

[목록1]현장에서 점유자를 만나지 못하여 점유관게를 알 수 없음.

미납관리비 조사내역

확인일자 미납금액 관리소번호 메모

※ 해당 정보는 참고용으로 제공되며 입찰 전 반드시 관리사무소를 통해 직접 확인하시기 바랍니다.

시세분석

기타

전문가

관할법원 (입찰장소)

광주지방법원 해남지원

경매3계 : 061-530-9171

전남 해남군 해남읍 구교리 390 주소복사

Q&A

Q. 대법원경매가 무엇인가요?누구나 입찰에 참여할 수 있나요?

경매채무자(빌린 자)가 채무를 갚지 않았을 때 채권자(빌려준 자)의 신청으로 대법원이 채무자의 재산을 대신 매각하는 과정을 말합니다.

법원은 감정인에게 자산을 평가하게 한 후, 최저가를 정하여 그 금액 이상으로 입찰한 입찰자 중 최고가 매수인을 결정합니다.

대법원의 주관하에 국민 모두가 참여할 수 있습니다.

Q. 경매 입찰은 어떻게 하나요?누구나 입찰에 참여할 수 있나요?

1. 입찰하시고자 하는 경매물건을 정하신 후, 입찰하시고자 하는 입찰가를 최저가 이상으로 정합니다.

2. 해당 물건의 매각기일에 직접 관할법원에 방문하셔서 법원내에 비치된 입찰서를 작성하신 후 입찰하시면 됩니다.

TIP! 법원에 가실 때에는 입찰보증금(최저가의 10~30%)과 신분증을 지참하여 방문하세요.

Q. 용어가 너무 어려워서 내용을 이해하기 어려워요누구나 입찰에 참여할 수 있나요?

매각기일
매각기일은 경매 법원이 부동산에 대하여 매각 입찰을 진행하는 날을 말합니다.

유찰
매각 기일에 매수하고자 하는 사람이 없어 매각되지 않아 무효가 되는 것을 유찰이라고 합니다.

최저 매각 가격
최초 경매를 진행할때 감정인이 평가한 가격을 기준으로 책정한 금액이며 입찰자는 최저 매각 가격과 동일하거나 이상의 금액으로 입찰해야 합니다. 매각 기일에 있어 입찰자가 없어 유찰되면 통상 20~30% 저감된 금액이 다음 최저 매각 가격이 됩니다.

매수 보증금
경매 물건을 매수하고자 하는사람은 최저 매각 가격의 10분의 1(다르게 정해질 수 있음)에 해당하는 보증금액을 입찰표와 함께 집행관에게 제출하는 방법으로 제공합니다. 매각 절차가 종결된 후 집행관은 최고가 매수신고인이나 차순위매수신고인 이외의 매수신청인에게는 즉시 매수 보증금을 반환해 줍니다.

더 많은 내용을 알고 싶다면 경매마당 학습하기 코너에 준비된 용어설명을 이용해보세요.

경매정보는 법원자료와 일치하도록 하였으나 권리사항변동, 입력착오 등의 원인으로 사실과 다를 수 있습니다. 이용약관에 의거 면책조건으로 제공됨을 알리며, 경매입찰시 반드시 관련 공부를 재확인하시기 바랍니다.

PC버전으로 보기