알림

알림 내역

알림 신청내역/취소

대법원
물건내역
사건내역
기일내역
송달내역
현황조사
지도
사진보기
문서
매각기일공고문
매각물건명세서
감정평가서 M
등기부등본
전입세대열람원 M
건축물대장 M
분석
예상배당표 M
수익률분석 M
입찰가분석 M
조회수분석 M
인근지역통계 M
사이트
대법원
국토부 실거래가
토지이음
아실
네이버 단지정보
네이버 매물정보
호갱노노
부동산플래닛
로고 전주지방법원 군산지원 [경매2계] 2024타경2966
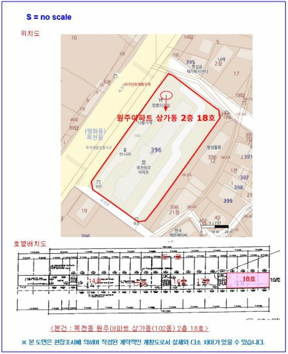
전북특별자치도 익산시 목천로 48, 상가102동 2층18호 (목천동,원주아파트)

전북특별자치도 익산시 목천동 396-1

주소복사
경매구분 임의경매
용도 단지내상가
토지 101.7㎡(30.76평)
건물 111㎡(33.58평)
감정가 63,800,000원
최저가 21,883,000원
보증금 2,188,300원 (10%)
청구액 31,552,277원
개시결정 2024년 09월 03일
감정일 2024년 09월 11일
배당종기 2024년 11월 28일
매각일 2025년 06월 09일
2024타경2966
2024타경2966
2024타경2966
2024타경2966
2024타경2966
2024타경2966
2024타경2966
2024타경2966
2024타경2966
2024타경2966
감정가
6380만원
189만9940원/평
낙찰가 58%
2678만9900원
배당종결 2025년 06월 09일
유찰 3회
유찰 3회
경매구분 임의경매
용도 단지내상가
토지 101.7㎡(30.76평)
건물 111㎡(33.58평)
감정가 63,800,000원
최저가 21,883,000원
보증금 2,188,300원 (10%)
청구액 31,552,277원
개시결정 2024년 09월 03일
감정일 2024년 09월 11일
배당종기 2024년 11월 28일
매각일 2025년 06월 09일
배당종결 2025년 06월 09일

당사자 내역

채무자겸소유자 정OO
채권자 이OOOOOOOO
임차인 주OOOOOOOOO
교부권자 익OO

기일 내역

2025.07.17(18:00)
기한후납부
2025.06.16(16:00)
최고가매각허가결정
2025.06.09(10:00)
2678만9900원 매각
2188만3000원 최저가
2025.04.28(10:00)
3126만2000원 유찰
2025.03.17(10:00)
4466만원 유찰
2025.02.03(10:00)
6380만원 유찰

매각공고

현황 조사(현황 조사서)

본건은 원주아파트의 전면에 위치한 상가 건물 중의 하나로써, 주식회사 삼화기술단`이란 상호로 상가건물임대차 현황서에도 임차인으로 등재되어 있으므로 실재 점유관계 등은 확인이 필요함 상가건물임대차현황서를 근거로 작성하였므로 실재 점유관계 등은 확인이 필요함

점유 조사(현황 조사서)

[목록1]- 현장 폐문부재로 채무자(소유자)나 점유자 등을 만나지 못하였음.
- 상가건물임대차현황서에 본건 임차인이 전입세대로 등재되어 있으므로 실제 점유관계 등은 별도의 확인 요함(안내문 부착).

매각결과+

매각일자 / 결과 응찰자수 최고가 금액/응찰자명 차순위 금액

가장 빠른 경매 정보 플랫폼 경매마당
남들보다 먼저 정보를 선점하세요

간단한 로그인 후 바로 이용 가능합니다

bolt 대법원 보다 빠른 물건 정보
verified 가장 많은 경매 물건 제공
trending_up 월 5회 등기부 무료 열람

현황정보

매각목록

부동산 현황

1) 위치 및 주위환경 본건은 익산시 목천동 소재 "이리남초등학교" 북동측 인근에 소재하는 공동주택 원주아파트 상가동에 위치하며, 주위는 익산시 주요진입로인 "목천로" 주변지역에 형성된 소규모 주택지 및 노선상가지대이며 후면부는 소규모 공장 및 미개발농경지대입니다. 2) 교통상황 익산시 주요진입 간선도로인 "목천로"변에 위치하여 제 지역으로 접근성 무난합니다. 3) 건물의 구조 본건은 철근콘크리트 스라브지붕 지하1층 지상2층 상가동 2층에 소재하며 외벽: 시멘몰타르위 페인트 마감, 내벽: 시멘몰타르위 페인트 및 타일 등 마감, 창호: 샤시창입니다. 4) 이용상태 근린생활시설(점포 등)1호로 이용중입니다. 5) 설비내역 기본적인 위생시설, 급배수시설 및 화재경보시설 등이 소재합니다. 6) 토지의 형상 및 이용상태 세장형 형상의 토지로 현황 아파트 및 부속상가동 부지로 이용중입니다. 7) 인접 도로상태등 본건 토지 북서측으로 지나는 대로"목천로"를 주 출입구로 이용합니다. 8) 토지이용계획 및 제한상태 계획관리지역, 주거개발진흥지구, 지구단위계획구역, 대로1류(폭 35m-40m)(접합), 소로1류(폭 10m-12m)(2018-03-16)(소로1류2호)(접합), 소로3류(폭 8m 미만)(2018-03-16)(소로3류22호)(접합) 가축사육제한구역(2024-08-16)(전부제한구역)<가축분뇨의 관리 및 이용에 관한 법률>에 해당됩니다. 9) 공부와의 차이 -- 10) 기타참고사항(임대관례 및 기타) --

주변 입주 예정

거리 단지명 공급년월 세대 수
※ 해당 자료는 한국부동산원 청약홈 자료에 근거하며, 인근 5km 이내의 물건을 기준으로 산정되었습니다.

등기

등기부현황

채권합계 42,000,000원(1건)
등기일자 권리종류 권리자/채권액 권리
2020-01-03
소유자 정OOOOOOOO OO
단독소유 -
2023-02-17
(을11)
근저당권설정 이OOOOOOOO OO
말소기준 등기 42,000,000원
2024-09-03
(갑16)
임의경매개시결정
(2024타경2966)
이OOOOOOOO OO
경매기입 등기 31,552,277원
※ 신규 발급등기의 분석자료 반영에는 최대 1일까지 소요될수 있습니다.(등기분석,임차인분석,분석노트 등)

임차인

매각물건 명세서

구분 법원 사건번호 작성일자 매각명세서
1 군산지원 2024타경2966[1] 2025.01.08
구분 법원/
사건번호
작성일자 매각명세서
1 군산지원
2024타경2966[1]
2025.01.08

임차인현황

임차인 보증금/차임 전입/확정/배당 대항력
[현황조사]
주OOOOOOOOO
점유부분:
66.1160평방미터 2증 18호
보증:
10,000,000
차임:
170,000
사업: 2024.08.14
확정:
-

현황 조사서

조사일시

2024년09월09일14시50분

부동산의 현황

본건은 원주아파트의 전면에 위치한 상가 건물 중의 하나로써, 주식회사 삼화기술단`이란 상호로 상가건물임대차 현황서에도 임차인으로 등재되어 있으므로 실재 점유관계 등은 확인이 필요함 상가건물임대차현황서를 근거로 작성하였므로 실재 점유관계 등은 확인이 필요함

점유 조사

[목록1]- 현장 폐문부재로 채무자(소유자)나 점유자 등을 만나지 못하였음.
- 상가건물임대차현황서에 본건 임차인이 전입세대로 등재되어 있으므로 실제 점유관계 등은 별도의 확인 요함(안내문 부착).

1
소재지 전북특별자치도 익산시 목천로 48, 상가102동 2층18호 (목천동,원주아파트)
점유인 주OOOOOOOOO(임차인)
점유부분 66.1160평방미터 2증 18호(점포)
점유기간 2023.04.12-2025.04.11
보증금/차임 10,000,000/170,000
전입/확정일자 2024.08.14/미상

조사일시

2024년09월09일14시50분

부동산의 현황

본건은 원주아파트의 전면에 위치한 상가 건물 중의 하나로써, 주식회사 삼화기술단`이란 상호로 상가건물임대차 현황서에도 임차인으로 등재되어 있으므로 실재 점유관계 등은 확인이 필요함
상가건물임대차현황서를 근거로 작성하였므로 실재 점유관계 등은 확인이 필요함

점유 조사

[목록1]- 현장 폐문부재로 채무자(소유자)나 점유자 등을 만나지 못하였음.
- 상가건물임대차현황서에 본건 임차인이 전입세대로 등재되어 있으므로 실제 점유관계 등은 별도의 확인 요함(안내문 부착).

1
소재지 전북특별자치도 익산시 목천로 48, 상가102동 2층18호 (목천동,원주아파트)
점유인 주OOOOOOOOO(임차인)
점유부분 66.1160평방미터 2증 18호(점포)
점유기간 2023.04.12-2025.04.11
보증금/차임 10,000,000/170,000
전입/확정일자 2024.08.14/미상

미납관리비 조사내역

확인일자 미납금액 관리소번호 메모

※ 해당 정보는 참고용으로 제공되며 입찰 전 반드시 관리사무소를 통해 직접 확인하시기 바랍니다.

시세분석

인근 낙찰사례

기타

전문가

관할법원 (입찰장소)

전주지방법원 군산지원

경매2계 : 063-450-5000

전북 군산시 조촌동 880 주소복사

Q&A

Q. 대법원경매가 무엇인가요?누구나 입찰에 참여할 수 있나요?

경매채무자(빌린 자)가 채무를 갚지 않았을 때 채권자(빌려준 자)의 신청으로 대법원이 채무자의 재산을 대신 매각하는 과정을 말합니다.

법원은 감정인에게 자산을 평가하게 한 후, 최저가를 정하여 그 금액 이상으로 입찰한 입찰자 중 최고가 매수인을 결정합니다.

대법원의 주관하에 국민 모두가 참여할 수 있습니다.

Q. 경매 입찰은 어떻게 하나요?누구나 입찰에 참여할 수 있나요?

1. 입찰하시고자 하는 경매물건을 정하신 후, 입찰하시고자 하는 입찰가를 최저가 이상으로 정합니다.

2. 해당 물건의 매각기일에 직접 관할법원에 방문하셔서 법원내에 비치된 입찰서를 작성하신 후 입찰하시면 됩니다.

TIP! 법원에 가실 때에는 입찰보증금(최저가의 10~30%)과 신분증을 지참하여 방문하세요.

Q. 용어가 너무 어려워서 내용을 이해하기 어려워요누구나 입찰에 참여할 수 있나요?

매각기일
매각기일은 경매 법원이 부동산에 대하여 매각 입찰을 진행하는 날을 말합니다.

유찰
매각 기일에 매수하고자 하는 사람이 없어 매각되지 않아 무효가 되는 것을 유찰이라고 합니다.

최저 매각 가격
최초 경매를 진행할때 감정인이 평가한 가격을 기준으로 책정한 금액이며 입찰자는 최저 매각 가격과 동일하거나 이상의 금액으로 입찰해야 합니다. 매각 기일에 있어 입찰자가 없어 유찰되면 통상 20~30% 저감된 금액이 다음 최저 매각 가격이 됩니다.

매수 보증금
경매 물건을 매수하고자 하는사람은 최저 매각 가격의 10분의 1(다르게 정해질 수 있음)에 해당하는 보증금액을 입찰표와 함께 집행관에게 제출하는 방법으로 제공합니다. 매각 절차가 종결된 후 집행관은 최고가 매수신고인이나 차순위매수신고인 이외의 매수신청인에게는 즉시 매수 보증금을 반환해 줍니다.

더 많은 내용을 알고 싶다면 경매마당 학습하기 코너에 준비된 용어설명을 이용해보세요.

경매정보는 법원자료와 일치하도록 하였으나 권리사항변동, 입력착오 등의 원인으로 사실과 다를 수 있습니다. 이용약관에 의거 면책조건으로 제공됨을 알리며, 경매입찰시 반드시 관련 공부를 재확인하시기 바랍니다.

PC버전으로 보기