알림

알림 내역

알림 신청내역/취소

로고 의정부지방법원 고양지원 [경매3계] 2022타경3154[1]
경기도 파주시 와석순환로 421, 1층101호

경기 파주시 와동동 1365

주소복사
경매구분 임의경매
용도 상가
토지 23.02㎡(7평)
건물 52.53㎡(15.9평)
감정가 763,000,000원
최저가 534,100,000원
보증금 53,410,000원 (10%)
청구액 1,895,725,552원
개시결정 2022년 06월 28일
감정일 2022년 07월 11일
배당종기 2022년 09월 19일
매각일 2023년 06월 20일
2022타경3154[1]
2022타경3154[1]
2022타경3154[1]
2022타경3154[1]
2022타경3154[1]
2022타경3154[1]
2022타경3154[1]
2022타경3154[1]
2022타경3154[1]
2022타경3154[1]
2022타경3154[1]
2022타경3154[1]
2022타경3154[1]
2022타경3154[1]
2022타경3154[1]
2022타경3154[1]
2022타경3154[1]
2022타경3154[1]
2022타경3154[1]
2022타경3154[1]
2022타경3154[1]
2022타경3154[1]
2022타경3154[1]
2022타경3154[1]
2022타경3154[1]
2022타경3154[1]
2022타경3154[1]
2022타경3154[1]
2022타경3154[1]
2022타경3154[1]
2022타경3154[1]
2022타경3154[1]
2022타경3154[1]
2022타경3154[1]
2022타경3154[1]
2022타경3154[1]
2022타경3154[1]
2022타경3154[1]
2022타경3154[1]
2022타경3154[1]
2022타경3154[1]
2022타경3154[1]
2022타경3154[1]
2022타경3154[1]
2022타경3154[1]
2022타경3154[1]
감정가
7억6300만원
낙찰가 26%
5억6699만9999원
배당종결 2023년 06월 20일
유찰 1회위반건축물
유찰 1회위반건축물
경매구분 임의경매
용도 상가
토지 23.02㎡(7평)
건물 52.53㎡(15.9평)
감정가 763,000,000원
최저가 534,100,000원
보증금 53,410,000원 (10%)
청구액 1,895,725,552원
개시결정 2022년 06월 28일
감정일 2022년 07월 11일
배당종기 2022년 09월 19일
매각일 2023년 06월 20일
배당종결 2023년 06월 20일

당사자 내역

소유자 임OO
소유자 이OO
채권자 유OOOOOOOOOOOOOOOOOOOOOOOOOOOOOOO
채무자 망OOOOOOOOOOOO
채무자 망OOOOOOOOOOOO
채무자 망OOOOOOOOOOOO
임차인 윤OO
교부권자 파OO
교부권자 국OOOOOO
교부권자 부OOOO
압류권자 용OOOOO
압류권자 국OOOOOO
가압류권자 윤OO
가압류권자 주OOOOOOOO
임차인 이OO
교부권자 기OOOO
임차인 권OO
임차인 이OO
배당요구권자 주OOOOOOOO
압류권자 부OOOO
임차인 김OO
임차인 나OO
임차인 이OO
임차인 윤OO
임차인 엄OO
임차인 주OOOOOOOO
교부권자 용OO

기일 내역

2023.08.02
납부 (2023.07.21)
2023.06.27
최고가매각허가결정
2023.06.20
5억6699만9999원 매각
5억3410만원 최저가
2023.05.16
7억6300만원 유찰

물건 비고(공고문)

1.집합건축물대장 표제부상 1층 외부 위반건축물로 등재되어 있으니, 해당 호수여부,내용 확인요함.

물건 비고(매각 명세서)

1.집합건축물대장 표제부상 1층 외부 위반건축물로 등재되어 있으니, 해당 호수여부,내용 확인요함.

현황 조사(현황 조사서)

-1층에 있는 건물관리인의 대리인 신양옥에게 303호, 304호에 대하여 문의하니, 2개 상가는 현재 공실로 임차인은
없고, 2개 상가는 격벽이 설치되어 별개 상가라고 한다.
-관리인은 이규빈(010-7793-1833)으로 부재중으로 열쇠가 없어 확인할 수 없으니 외부에서 확인하라고 하여 육안으로 확인하니 303,304호는 격벽이 설치된 별개 상가로서 공실인 것을 확인하였다
-같은 구조인 4층의 403호,404호를 확인하니 외부에서 내부확인이 되어 2개의 상가인것을 확인하였음

매각결과+

매각일자 / 결과 응찰자수 최고가 금액/응찰자명 차순위 금액

동일사건 물건목록

번호 주소 상태/입찰일 물건내역
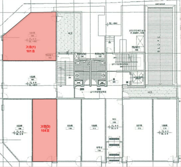
1
본건
경기도 파주시 와석순환로 421, 1층101호 배당종결
2023.06.20
-
2 경기도 파주시 와석순환로 421, 1층104호 배당종결
2023.06.20
바로가기
3 경기도 파주시 와석순환로 421, 3층301호 배당종결
2023.05.16
바로가기
4 경기도 파주시 와석순환로 421, 3층303호 배당종결
2023.06.20
바로가기
5 경기도 파주시 와석순환로 421, 3층304호 배당종결
2023.06.20
바로가기
6 경기도 파주시 와석순환로 421, 4층404호 배당종결
2023.05.16
바로가기
7 경기도 파주시 와석순환로 421, 5층501호 배당종결
2023.06.20
바로가기
8 경기도 파주시 와석순환로 421, 5층502호 배당종결
2023.05.16
바로가기
9 경기도 파주시 와석순환로 421, 5층503호 배당종결
2023.05.16
바로가기
부동산
등기
임차인
그 외

부동산

매각목록

부동산 현황

1.구분건물감정평가요항표 1) 위치 및 주위환경 대상물건 일련번호(1) -(11)은 경기도 파주시 와동동 소재 "운정주민자치센터" 남동측 인근에 위치하며, 인근지역은 근린생활시설, 대규모 공동주택 단지가 혼재되어 있는 지역임. 2) 교통상황 대상물건 까지 차량출입 가능하며, 인근의 와석순환로의 거리, 노선버스정류장과의 거리, 노선의 수, 운행간격 등을 감안하여 볼 때, 교통상황은 보통임. 3) 건물의 구조 대상물건은 철근콘크리트조 (철근) 평스라브지붕내 제1층 제101호외 10개호로서 외벽: 대리석붙임 일부 돌붙임 마감 내벽: 인테리어마감 등 창호: 샤시 창호 등으로 탐문조사됨. 4) 이용상태 대상물건은 근린생활시설로 이용중임. 5) 설비내역 대상물건은 기본적인 위생설비 및 급·배수설비, 승강기설비, 소방설비설비 등을 갖추었음. 6) 토지의 형상 및 이용상태 대상 토지는 인접도로 대비 등고 평탄한 정방형의 토지로서, 근린생활시설 건부지로 이용중임. 7) 인접 도로상태등 대상 물건은 남측으로 약 30미터, 남서측으로 약12미터 포장 도로에 접해있음. 8) 토지이용계획 및 제한상태 도시지역 , 준주거지역(파주운정지구.) , 제1종지구단위계획구역 , 대로3류(폭 25m-30m)(파주운정지구)(접합) , 중로3류(폭 12m-15m)(파주운정지구)(접합), 가축사육제한구역(전부제한)<가축분뇨의 관리 및 이용에 관한 법률>, 상대보호구역(2015-02-25)(파주운정지구)<교육환경 보호에 관한 법률>, 절대보호구역(2015-02-25)(파주운정지구)<교육환경 보호에 관한 법률> 9) 공부와의 차이 10) 기타참고사항(임대관례 및 기타)

감정평가

주변 입주 예정

거리 단지명 공급년월 세대 수
※ 해당 자료는 한국부동산원 청약홈 자료에 근거하며, 인근 5km 이내의 물건을 기준으로 산정되었습니다.

등기

등기부현황

채권합계 2,504,670,000원(2건)
등기일자 권리종류 권리자/채권액 권리
2019-05-30
(을1)
근저당권설정 주식회사하나은행 멤버십
말소기준 등기 2,304,000,000원
2019-08-23
(갑6)
가압류 주식회사국민은행 멤버십
- 200,678,706원
2020-07-31
(갑7)
압류 송파세무서 멤버십
- -
2021-06-08
(갑8)
압류 부산광역시 멤버십
- -
2022-03-04
(갑10)
압류 용인시 멤버십
- -
2022-06-28
(갑11)
임의경매개시결정
(2022타경3154)
주식회사하나은행 멤버십
경매기입 등기 1,895,725,552원
더보기 더보기
※ 신규 발급등기의 분석자료 반영에는 최대 1일까지 소요될수 있습니다.(등기분석,임차인분석,분석노트 등)

임차인

매각물건 명세서

구분 법원 사건번호 작성일자 매각명세서
1 고양지원 2022타경3154[1] 2023.05.25
구분 법원/
사건번호
작성일자 매각명세서
1 고양지원
2022타경3154[1]
2023.05.25

물건 비고(매각 명세서)

1.집합건축물대장 표제부상 1층 외부 위반건축물로 등재되어 있으니, 해당 호수여부,내용 확인요함.

임차인현황

임차인 보증금/차임 전입/확정/배당 대항력
엄윤성
(점포임차인)
점유부분:
101호
보증:
20,000,000
차임:
2,000,000
사업: 2019-11-27
확정: 2019-12-10
배당: 2022-07-19
멤버십

현황 조사서

조사일시

2023년04월06일12시59분

부동산의 현황

-1층에 있는 건물관리인의 대리인 신양옥에게 303호, 304호에 대하여 문의하니, 2개 상가는 현재 공실로 임차인은
없고, 2개 상가는 격벽이 설치되어 별개 상가라고 한다.
-관리인은 이규빈(010-7793-1833)으로 부재중으로 열쇠가 없어 확인할 수 없으니 외부에서 확인하라고 하여 육안으로 확인하니 303,304호는 격벽이 설치된 별개 상가로서 공실인 것을 확인하였다
-같은 구조인 4층의 403호,404호를 확인하니 외부에서 내부확인이 되어 2개의 상가인것을 확인하였음

점유 조사

-

미납관리비 조사내역

확인일자 미납금액 관리소번호 메모

※ 해당 정보는 참고용으로 제공되며 입찰 전 반드시 관리사무소를 통해 직접 확인하시기 바랍니다.

시세

전문가

그외

관할법원 관할법원 (입찰장소)

의정부지방법원 고양지원

경매3계 : 031-920-6114

경기 고양시 일산동구 장항동 885-1 주소복사

Q&A Q&A

Q. 대법원경매가 무엇인가요?누구나 입찰에 참여할 수 있나요?

경매채무자(빌린 자)가 채무를 갚지 않았을 때 채권자(빌려준 자)의 신청으로 대법원이 채무자의 재산을 대신 매각하는 과정을 말합니다.

법원은 감정인에게 자산을 평가하게 한 후, 최저가를 정하여 그 금액 이상으로 입찰한 입찰자 중 최고가 매수인을 결정합니다.

대법원의 주관하에 국민 모두가 참여할 수 있습니다.

Q. 경매 입찰은 어떻게 하나요?누구나 입찰에 참여할 수 있나요?

1. 입찰하시고자 하는 경매물건을 정하신 후, 입찰하시고자 하는 입찰가를 최저가 이상으로 정합니다.

2. 해당 물건의 매각기일에 직접 관할법원에 방문하셔서 법원내에 비치된 입찰서를 작성하신 후 입찰하시면 됩니다.

TIP! 법원에 가실 때에는 입찰보증금(최저가의 10~30%)과 신분증을 지참하여 방문하세요.

Q. 용어가 너무 어려워서 내용을 이해하기 어려워요누구나 입찰에 참여할 수 있나요?

매각기일
매각기일은 경매 법원이 부동산에 대하여 매각 입찰을 진행하는 날을 말합니다.

유찰
매각 기일에 매수하고자 하는 사람이 없어 매각되지 않아 무효가 되는 것을 유찰이라고 합니다.

최저 매각 가격
최초 경매를 진행할때 감정인이 평가한 가격을 기준으로 책정한 금액이며 입찰자는 최저 매각 가격과 동일하거나 이상의 금액으로 입찰해야 합니다. 매각 기일에 있어 입찰자가 없어 유찰되면 통상 20~30% 저감된 금액이 다음 최저 매각 가격이 됩니다.

매수 보증금
경매 물건을 매수하고자 하는사람은 최저 매각 가격의 10분의 1(다르게 정해질 수 있음)에 해당하는 보증금액을 입찰표와 함께 집행관에게 제출하는 방법으로 제공합니다. 매각 절차가 종결된 후 집행관은 최고가 매수신고인이나 차순위매수신고인 이외의 매수신청인에게는 즉시 매수 보증금을 반환해 줍니다.

더 많은 내용을 알고 싶다면 경매마당 학습하기 코너에 준비된 용어설명을 이용해보세요.

경매정보는 법원자료와 일치하도록 하였으나 권리사항변동, 입력착오 등의 원인으로 사실과 다를 수 있습니다. 이용약관에 의거 면책조건으로 제공됨을 알리며, 경매입찰시 반드시 관련 공부를 재확인하시기 바랍니다.

PC버전으로 보기