전남 고흥군 점암면 연봉리 490
전남 고흥군 점암면 연봉리 490
 송OO
송OO
                             농OOOOOOOOOOOOOOOOOOOOOOOOOO
농OOOOOOOOOOOOOOOOOOOOOOOOOO
                             고OOOOOOOOO
고OOOOOOOOO
                            지분매각. 농지취득자격증명 제출요(미제출시 보증금 몰수), 특별매각조건 있음(공유자 우선매수신고는 1회에 한함)
1.지분매각
2.특별매각조건 있음(공유자의 우선매수권 행사에 따른 매수신고가 매수보증금의 미납으로 실효되는 경우, 그 공유자는 해당
부동산의 다음 매각기일에서는 우선매수청구권을 행사할 수 없다)
3.농지취득자격증명 제출요(매각결정기일까지 농지취득자격증명을 제출하지 아니함으로써 매각불허가결정이 된 때에는 매수신
청 보증금을 반환하지 않고 이를 배당할 금액에 산입함)
본검 1-4는 전라남도 고흥군 점암면 연봉리 봉북,봉남마을 인근에 위치한 답과 전으로 본건1-4 모두 차량으로 접근하는데 어려움이 있음.주변은 대부분 농경지 및 임야지대로 형성되어 있어 주위환경 및 제반여건은 보통시 보임.
[목록4]점유자를 만나지 못함.
| 매각일자 / 결과 | 응찰자수 | 최고가 금액/응찰자명 | 차순위 금액 | 
|---|
등기열람(월5회), 임차인 내역, 권리분석
현황조사, 감정평가, 실거래가
...
※ 건축물 도면은 ‘건축물 대장의 기재 및 관리에 관한 규칙’ 에 따라 현재 경매가 진행중인 물건에만 제공됩니다.
※ 지분물건의 경우 면적은 지분에 해당하는 면적이 아닌 전체 면적으로 표기됩니다
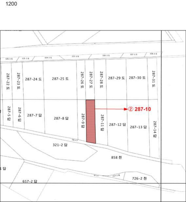
1.토지감정요항표 1) 위치 및 주위환경 본건 기호(1)은 전라남도 고흥군 점암면 연봉리 소재 "연등마을" 북서측 인근에위치하며, 주변은 농가주택, 농경지, 태양광시설 등이 혼재한 마을주변 농경지대로서주위환경은 보통시됨.기호(2-4)는 연봉리 소재 "봉북마을" 남서측 인근(기호2) 및 남동측 인근(기호3,4)에위치하며, 주변은 농가주택, 농경지, 임야 등이 혼재한 국도주변 경지정리지대 및 산간농경지대로서 주위환경은 보통시됨. 2) 교통상황 본건 및 본건 인근까지 차량접근 가능하며, 제반교통사정은 보통시됨. 3) 형태 및 이용상태 기호(1) : 완경사지대내 부정형의 토지로, 묵답으로 이용중임.기호(2) : 평지대내 세장형의 토지로, 답으로 이용중임.기호(3,4) : 완경사지대내 부정형의 토지로, 묵전으로 이용중임. 4) 인접 도로상태 본건 기호(2) 남서측으로 하천도로에 접함. 5) 토지이용계획 및 제한상태 기호(1) : 농림지역, 생산관리지역, 가축사육제한구역, 농업보호구역임.기호(2) : 농림지역, 가축사육제한구역, 상대보호구역, 농업진흥구역, 접도구역임.기호(3) : 생산관리지역, 가축사육제한구역임.기호(4) : 농림지역, 가축사육제한구역, 농업진흥구역임. 6) 제시목록 외의 물건 없음. 7) 공부와의 차이 없음. 8) 기타참고사항(임대관례 및 기타) 임대관계는 미상임.
| 거리 | 단지명 | 공급년월 | 세대 수 | 
|---|
| 등기일자 | 권리종류 | 권리자/채권액 | 권리 | 
|---|---|---|---|
| 2005-06-24 (을5) | 근저당권설정 | 고흥군수산업협동조합 | 소멸 | 
| 말소기준 등기 | 30,000,000원 | ||
| 2007-04-11 (갑4) | 가압류 | 고흥군수산업협동조합 | 소멸 | 
| - | 5,600,000원 | ||
| 2014-06-18 (갑10) | 가압류 | 농업협동조합중앙회(농림수산업자신용보증기금관리기관) | 소멸 | 
| - | 59,927,331원 | ||
| 2021-09-06 (갑15) | 강제경매개시결정 (2021타경5116) | 농업협동조합중앙회(농림수산업자신용보증기금관리기관) | 소멸 | 
| 경매기입 등기 | 59,927,331원 | 
| 구분 | 법원 | 사건번호 | 작성일자 | 매각명세서 | 
|---|---|---|---|---|
| 1 | 순천지원 | 2021타경5116[4] | 2023.03.22 | 
| 구분 | 법원/ 사건번호 | 작성일자 | 매각명세서 | 
|---|---|---|---|
| 1 | 순천지원 2021타경5116[4] | 2023.03.22 | 
1.지분매각
2.특별매각조건 있음(공유자의 우선매수권 행사에 따른 매수신고가 매수보증금의 미납으로 실효되는 경우, 그 공유자는 해당
부동산의 다음 매각기일에서는 우선매수청구권을 행사할 수 없다)
3.농지취득자격증명 제출요(매각결정기일까지 농지취득자격증명을 제출하지 아니함으로써 매각불허가결정이 된 때에는 매수신
청 보증금을 반환하지 않고 이를 배당할 금액에 산입함)
| 임차인 | 보증금/차임 | 전입/확정/배당 | 대항력 | 
|---|---|---|---|
| 매각물건명세서상 임차인이 존재하지 않습니다. | |||
2021년10월05일13시10분
본검 1-4는 전라남도 고흥군 점암면 연봉리 봉북,봉남마을 인근에 위치한 답과 전으로 본건1-4 모두 차량으로 접근하는데 어려움이 있음.주변은 대부분 농경지 및 임야지대로 형성되어 있어 주위환경 및 제반여건은 보통시 보임.
[목록4]점유자를 만나지 못함.
| 확인일자 | 미납금액 | 관리소번호 | 메모 | 
|---|
※ 해당 정보는 참고용으로 제공되며 입찰 전 반드시 관리사무소를 통해 직접 확인하시기 바랍니다.
광주지방법원 순천지원
경매9계 : 061-729-5114
전남 순천시 왕지동 777-1
Q. 대법원경매가 무엇인가요?
경매란 채무자(빌린 자)가 채무를 갚지 않았을 때 채권자(빌려준 자)의 신청으로 대법원이 채무자의 재산을 대신 매각하는 과정을 말합니다.
                        법원은 감정인에게 자산을 평가하게 한 후, 최저가를 정하여 그 금액 이상으로 입찰한 입찰자 중 최고가 매수인을 결정합니다.
                        대법원의 주관하에 국민 모두가 참여할 수 있습니다.
Q. 경매 입찰은 어떻게 하나요?
Q. 용어가 너무 어려워서 내용을 이해하기 어려워요
경매정보는 법원자료와 일치하도록 하였으나 권리사항변동, 입력착오 등의 원인으로 사실과 다를 수 있습니다. 이용약관에 의거 면책조건으로 제공됨을 알리며, 경매입찰시 반드시 관련 공부를 재확인하시기 바랍니다.
PC버전으로 보기