알림

알림 내역

알림 신청내역/취소

로고 전주지방법원 정읍지원 [경매3계] 2019타경32744[5]
전라북도 고창군 아산면 반암리 974

전북 고창군 아산면 반암리 974

주소복사
경매구분 강제경매
용도
토지 183.5㎡(55.5평)
건물 -
감정가 2,385,500원
최저가 1,169,000원
보증금 120,000원 (10%)
청구액 15,376,083원
개시결정 2019년 12월 02일
감정일 2019년 12월 17일
배당종기 2020년 03월 02일
매각일 2021년 01월 18일
2019타경32744[5]
2019타경32744[5]
2019타경32744[5]
2019타경32744[5]
2019타경32744[5]
2019타경32744[5]
2019타경32744[5]
2019타경32744[5]
2019타경32744[5]
2019타경32744[5]
2019타경32744[5]
2019타경32744[5]
2019타경32744[5]
2019타경32744[5]
2019타경32744[5]
2019타경32744[5]
2019타경32744[5]
2019타경32744[5]
2019타경32744[5]
2019타경32744[5]
2019타경32744[5]
2019타경32744[5]
2019타경32744[5]
2019타경32744[5]
2019타경32744[5]
2019타경32744[5]
2019타경32744[5]
2019타경32744[5]
2019타경32744[5]
2019타경32744[5]
2019타경32744[5]
2019타경32744[5]
2019타경32744[5]
2019타경32744[5]
2019타경32744[5]
2019타경32744[5]
2019타경32744[5]
2019타경32744[5]
2019타경32744[5]
2019타경32744[5]
2019타경32744[5]
2019타경32744[5]
2019타경32744[5]
2019타경32744[5]
감정가
238만5500원
낙찰가 24%
181만원
배당종결 2021년 01월 18일
유찰 2회농지취득자격증명지분매각
유찰 2회농지취득자격증명지분매각
경매구분 강제경매
용도
토지 183.5㎡(55.5평)
건물 -
감정가 2,385,500원
최저가 1,169,000원
보증금 120,000원 (10%)
청구액 15,376,083원
개시결정 2019년 12월 02일
감정일 2019년 12월 17일
배당종기 2020년 03월 02일
매각일 2021년 01월 18일
배당종결 2021년 01월 18일

당사자 내역

채무자겸소유자 김OO
채권자 서OOOOOOOOO
임차인 김OO
임차인 박OO
압류권자 국OOOOOOO
공유자 김OO
공유자 김OO
공유자 김OO
공유자 김OO
공유자 김OO
공유자 김OO
공유자 김OO
교부권자 고OO
교부권자 정OOOO

기일 내역

2021.02.26
납부 (2021.02.19)
2021.01.25
최고가매각허가결정
2021.01.18
181만원 매각
116만9000원 최저가
2020.12.28
기일변경
2020.11.23
167만원 유찰
2020.10.12
238만5500원 유찰

물건 비고(공고문)

지분매각. 공유자우선매수는 1회에 한하여 허용됨. 농지취득자격증명필요(미제출시 보증금몰수).

인수되는 권리/가처분(매각 명세서)

해당사항없음

지상권(매각 명세서)

해당사항없음

물건 비고(매각 명세서)

지분매각. 공유자우선매수는 1회에 한하여 허용됨. 농지취득자격증명필요(미제출시 보증금몰수).

현황 조사(현황 조사서)

부동산표시 제1호 : 대지로 지상에는 목조 및 철봉조 스레트지붕 창고가 제시외 건물로 건립되어 있음.
부동산표시 제2호 : 전으로 인삼이 식재되어 있고, 지상의 수목(집단)에 별도의 명인방법 등 외부에 공시를 나타내는 표식이 없고, 또한 타인 권원에 의하여 부속된 것인지도 알 수 없는 소나무 등 수목이 식재되어 있음.
부동산표시 제3호 : 대지로 지상에는 임차인 김혜옥 소유의 목조 및 조적조 강판지붕 주택, 철골조 스레트지붕 창고, 조적조 스레트지붕 창고, 조적조 스레트지붕 화장실이, 소유자 미상의 목조스레트지붕 주택, 조적조 스레트지붕 창고가 제시외 건물로 건립되어 있음.
부동산표시 제4호 : 극히 일부 전 및 임야에 가까운 묵전임.
부동산표시 제5, 11호 : 전임
부동산표시 제6, 7, 8, 10호 : 도로임.
부동산표시 제9호 : 대지로 지상에는 목조스레트지붕 주택(폐가), 철봉조 강판지붕 창고, 목조 및 철봉조 강판 및 스레트지붕 창고, 철봉조 스레트지붕 화장실이 제시외 건물로 건립되어 있고 철봉조 비닐하우스가 설치되어 있음.
부동산표시 제12호 : 전으로 인삼이 식재되어 있음.

점유 조사(현황 조사서)

[목록5]위치 : 반암마을 내

매각결과+

매각일자 / 결과 응찰자수 최고가 금액/응찰자명 차순위 금액

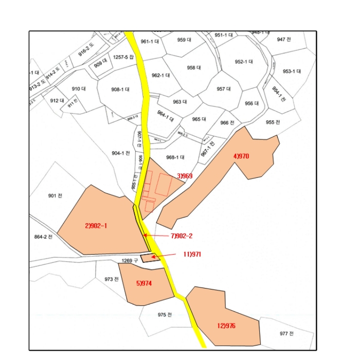
동일사건 물건목록

번호 주소 상태/입찰일 물건내역
1 전라북도 고창군 아산면 반암리 937-4 배당종결
2020.10.12
바로가기
2 전라북도 고창군 아산면 반암리 902-1 배당종결
2021.01.18
바로가기
3 전라북도 고창군 아산면 반암리 969 배당종결
2020.10.12
바로가기
4 전라북도 고창군 아산면 반암리 970 배당종결
2021.01.18
바로가기
5
본건
전라북도 고창군 아산면 반암리 974 배당종결
2021.01.18
-
6 전라북도 고창군 아산면 반암리 949-3 배당종결
2020.10.12
바로가기
7 전라북도 고창군 아산면 반암리 949-2 배당종결
2021.05.17
바로가기
8 전라북도 고창군 아산면 반암리 971 배당종결
2020.10.12
바로가기
9 전라북도 고창군 아산면 반암리 976 배당종결
2021.01.18
바로가기
부동산
등기
임차인
그 외

부동산

매각목록

※ 건축물 도면은 ‘건축물 대장의 기재 및 관리에 관한 규칙’ 에 따라 현재 경매가 진행중인 물건에만 제공됩니다.
※ 지분물건의 경우 면적은 지분에 해당하는 면적이 아닌 전체 면적으로 표기됩니다

감정평가

감정평가서 요약

1.토지감정요항표 1) 위치 및 주위환경 본건은 전라북도 고창군 아산면 반암리 소재 "마명마을" 주변에 위치하며, 주위는 농촌마을, 농경지 및 야산등이 혼재하는 농촌지역입니다. 2) 교통상황 각 토지마다 차량 접근이 가능하며 인근에 버스 정류장이 소재하여 일반적인 교통사정인 보통입니다. 3) 형태 및 이용상태 기호1) :부정형 토지로서 주택건부지 상태입니다 기호2,12) :부정형 토지로서 전(인삼) 상태입니다 기호3) :부정형 토지로서 주택건부지 상태입니다 기호4) :부정형 토지로서 전(휴경지) 상태이며 수목이 소재합니다. 기호5) :부정형 토지로서 전 상태입니다 기호6,8,10) :부정형 토지로서 도로 상태입니다 기호7) ;부정형의 토지로서 일부 전 및 도로 경사지 상태입니다. 기호9) :부정형 주택 건부지 상태이며 일부 전 상태입니다 기호11) :사다리형 토지로서 전 및 일부 도로 상태입니다 4) 인접 도로상태 마명마을내 마명길,인천강변로길 및 마을안길에 접합니다. 5) 토지이용계획 및 제한상태 기호1,3,6, 8,9,10) :계획관리지역, 자연취락지구, 가축사육제한구역. 기호2,4,7,11). 계획관리지역, 가축사육제한구역. 기호5,12). 보전관리지역, 가축사육제한구역. 6) 제시목록 외의 물건 - 7) 공부와의 차이 - 8) 기타참고사항(임대관례 및 기타) 임대관계 : 미상입니다. 기 타 : ----

주변 입주 예정

거리 단지명 공급년월 세대 수
※ 해당 자료는 한국부동산원 청약홈 자료에 근거하며, 인근 5km 이내의 물건을 기준으로 산정되었습니다.

등기

등기부현황

채권합계 -
등기일자 권리종류 권리자/채권액 권리
2019-12-02
(갑8)
강제경매개시결정
(2019타경32744)
서울보증보험주식회사 소멸
말소기준
경매기입 등기
15,376,083원
※ 신규 발급등기의 분석자료 반영에는 최대 1일까지 소요될수 있습니다.(등기분석,임차인분석,분석노트 등)

임차인

매각물건 명세서

구분 법원 사건번호 작성일자 매각명세서
1 정읍지원 2019타경32744[5] 2020.12.23
구분 법원/
사건번호
작성일자 매각명세서
1 정읍지원
2019타경32744[5]
2020.12.23

인수되는 권리/가처분(매각 명세서)

해당사항없음

지상권(매각 명세서)

해당사항없음

물건 비고(매각 명세서)

지분매각. 공유자우선매수는 1회에 한하여 허용됨. 농지취득자격증명필요(미제출시 보증금몰수).

임차인현황

임차인 보증금/차임 전입/확정/배당 대항력
매각물건명세서상 임차인이 존재하지 않습니다.

현황 조사서

조사일시

2019년12월12일

부동산의 현황

부동산표시 제1호 : 대지로 지상에는 목조 및 철봉조 스레트지붕 창고가 제시외 건물로 건립되어 있음.
부동산표시 제2호 : 전으로 인삼이 식재되어 있고, 지상의 수목(집단)에 별도의 명인방법 등 외부에 공시를 나타내는 표식이 없고, 또한 타인 권원에 의하여 부속된 것인지도 알 수 없는 소나무 등 수목이 식재되어 있음.
부동산표시 제3호 : 대지로 지상에는 임차인 김혜옥 소유의 목조 및 조적조 강판지붕 주택, 철골조 스레트지붕 창고, 조적조 스레트지붕 창고, 조적조 스레트지붕 화장실이, 소유자 미상의 목조스레트지붕 주택, 조적조 스레트지붕 창고가 제시외 건물로 건립되어 있음.
부동산표시 제4호 : 극히 일부 전 및 임야에 가까운 묵전임.
부동산표시 제5, 11호 : 전임
부동산표시 제6, 7, 8, 10호 : 도로임.
부동산표시 제9호 : 대지로 지상에는 목조스레트지붕 주택(폐가), 철봉조 강판지붕 창고, 목조 및 철봉조 강판 및 스레트지붕 창고, 철봉조 스레트지붕 화장실이 제시외 건물로 건립되어 있고 철봉조 비닐하우스가 설치되어 있음.
부동산표시 제12호 : 전으로 인삼이 식재되어 있음.

점유 조사

[목록5]위치 : 반암마을 내

미납관리비 조사내역

확인일자 미납금액 관리소번호 메모

※ 해당 정보는 참고용으로 제공되며 입찰 전 반드시 관리사무소를 통해 직접 확인하시기 바랍니다.

시세

전문가

그외

관할법원 관할법원 (입찰장소)

전주지방법원 정읍지원

경매3계 : 063-570-1000

전북 정읍시 수성동 990-5 주소복사

Q&A Q&A

Q. 대법원경매가 무엇인가요?누구나 입찰에 참여할 수 있나요?

경매채무자(빌린 자)가 채무를 갚지 않았을 때 채권자(빌려준 자)의 신청으로 대법원이 채무자의 재산을 대신 매각하는 과정을 말합니다.

법원은 감정인에게 자산을 평가하게 한 후, 최저가를 정하여 그 금액 이상으로 입찰한 입찰자 중 최고가 매수인을 결정합니다.

대법원의 주관하에 국민 모두가 참여할 수 있습니다.

Q. 경매 입찰은 어떻게 하나요?누구나 입찰에 참여할 수 있나요?

1. 입찰하시고자 하는 경매물건을 정하신 후, 입찰하시고자 하는 입찰가를 최저가 이상으로 정합니다.

2. 해당 물건의 매각기일에 직접 관할법원에 방문하셔서 법원내에 비치된 입찰서를 작성하신 후 입찰하시면 됩니다.

TIP! 법원에 가실 때에는 입찰보증금(최저가의 10~30%)과 신분증을 지참하여 방문하세요.

Q. 용어가 너무 어려워서 내용을 이해하기 어려워요누구나 입찰에 참여할 수 있나요?

매각기일
매각기일은 경매 법원이 부동산에 대하여 매각 입찰을 진행하는 날을 말합니다.

유찰
매각 기일에 매수하고자 하는 사람이 없어 매각되지 않아 무효가 되는 것을 유찰이라고 합니다.

최저 매각 가격
최초 경매를 진행할때 감정인이 평가한 가격을 기준으로 책정한 금액이며 입찰자는 최저 매각 가격과 동일하거나 이상의 금액으로 입찰해야 합니다. 매각 기일에 있어 입찰자가 없어 유찰되면 통상 20~30% 저감된 금액이 다음 최저 매각 가격이 됩니다.

매수 보증금
경매 물건을 매수하고자 하는사람은 최저 매각 가격의 10분의 1(다르게 정해질 수 있음)에 해당하는 보증금액을 입찰표와 함께 집행관에게 제출하는 방법으로 제공합니다. 매각 절차가 종결된 후 집행관은 최고가 매수신고인이나 차순위매수신고인 이외의 매수신청인에게는 즉시 매수 보증금을 반환해 줍니다.

더 많은 내용을 알고 싶다면 경매마당 학습하기 코너에 준비된 용어설명을 이용해보세요.

경매정보는 법원자료와 일치하도록 하였으나 권리사항변동, 입력착오 등의 원인으로 사실과 다를 수 있습니다. 이용약관에 의거 면책조건으로 제공됨을 알리며, 경매입찰시 반드시 관련 공부를 재확인하시기 바랍니다.

PC버전으로 보기