알림

알림 내역

알림 신청내역/취소

로고 대전지방법원 서산지원 [경매6계] 2023타경5187[2]
충청남도 서산시 성연면 성연2로 45, 1층103호 (이안큐브오피스텔)

충남 서산시 성연면 오사리 1645

주소복사
경매구분 임의경매
용도 상가
토지 5.2㎡(1.6평)
건물 47.89㎡(14.5평)
감정가 498,000,000원
최저가 119,570,000원
보증금 23,920,000원 (20%)
청구액 3,596,794,804원
개시결정 2023년 10월 05일
감정일 2023년 11월 24일
배당종기 2024년 01월 09일
매각일 2025년 04월 29일
2023타경5187[2]
2023타경5187[2]
2023타경5187[2]
2023타경5187[2]
2023타경5187[2]
2023타경5187[2]
2023타경5187[2]
2023타경5187[2]
2023타경5187[2]
2023타경5187[2]
2023타경5187[2]
2023타경5187[2]
2023타경5187[2]
2023타경5187[2]
2023타경5187[2]
2023타경5187[2]
2023타경5187[2]
2023타경5187[2]
2023타경5187[2]
2023타경5187[2]
2023타경5187[2]
2023타경5187[2]
2023타경5187[2]
2023타경5187[2]
2023타경5187[2]
2023타경5187[2]
2023타경5187[2]
감정가
4억9800만원
최저가 76%
1억1957만원
미납 2025년 04월 29일
유찰 4회재매각
유찰 4회재매각
경매구분 임의경매
용도 상가
토지 5.2㎡(1.6평)
건물 47.89㎡(14.5평)
감정가 498,000,000원
최저가 119,570,000원
보증금 23,920,000원 (20%)
청구액 3,596,794,804원
개시결정 2023년 10월 05일
감정일 2023년 11월 24일
배당종기 2024년 01월 09일
매각일 2025년 04월 29일
미납 2025년 04월 29일

당사자 내역

소유자 마OOOOOOOOOO
소유자 마OOOOOOOOO
채권자 주OOOOOOOOOO
채무자 농OOOOOOOOOOOOOOOO
승계인 에OOOOOOOOOOOOOOOOOO
근저당권자 이OO
교부권자 국OOOOOOOOOOO
압류권자 국OOOOOOOOOOO
압류권자 서OO
가압류권자 주OOOOOOOOOO
근저당권자 농OOOOOOO
근저당권자 주OOOOOOOO
근저당권자 이OO
근저당권부질권자 마OO
근저당권자 한OO
근저당권부질권자 박OO
수계인 주OOOOOOOOOO
교부권자 서OO

기일 내역

2025.06.10(16:00)
미납
2025.05.08(14:00)
최고가매각허가결정
2025.04.29(10:00)
1억6000만원 매각
1억1957만원 최저가
2025.02.18(10:00)
기일변경
2025.01.14(10:00)
1억7081만4000원 유찰
2024.11.05(10:00)
기일변경
2024.10.08(10:00)
2억4402만원 유찰
2024.08.20(10:00)
3억4860만원 유찰
2024.06.11(10:00)
4억9800만원 유찰

물건 비고(공고문)

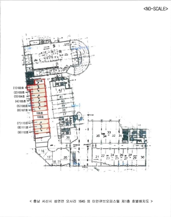
101호 및 102호와 벽체 구분 없이 공실상태이나, 각 호 바닥에 육안으로 식별가능한 선으로 구분표시되어 있음.

물건 비고(매각 명세서)

101호 및 102호와 벽체 구분 없이 공실상태이나, 각 호 바닥에 육안으로 식별가능한 선으로 구분표시되어 있음.

현황 조사(현황 조사서)

본건은 서산시 성연면 오사리에 소재하는 2019년 총 3개동으로 건설된 오피스텔 및 근린생활시설로, 지리적으로는 [성연면행정복지센터]와 [성연중학교]의 남서쪽에 위치하고, 남동쪽 인근에 [성연초등학교]가 소재함. 주변은 남서쪽으로 근린생활시설과 여러 단지의 아파트가 밀집해 있고, 북쪽과 동쪽 방향으로는 서산테크노벨리의 중·소형 공장 등이 있으며 서쪽으로는 29번 국도 [충의로] 건너편에 농경지와 임야 등이 혼재해 있음. 주거환경이나 교통사정 그리고 입지조건 등은 보통시됨. 관리실 직원의 안내를 받아 현장 조사를 실시하였음. 호수를 구분하기 위하여 바닥에는 페인트로 10㎝ 정도의 폭으로 표시되어 있고, 각 호수의 폭은 3.5~4M 가량이고, 북서측으로부터 남쪽으로 [101호(목록외), 102호, 103호] // [104호 내지 107호] // [108호(목록외), 109호(목록외)⇒CU편의점] // [110호 내지 112호]로 각 구분하기 위하여 알루미늄 기둥과 합판으로 보여지는 칸막이가 설치되어 있음(별첨 사진 각 참조). 본건은 101호(목록외) 및 102호와 103호에만 1개의 출입문이 있고 나머지에는 출입문이 설치되어 있지 아니한 ‘공실상태’임.

점유 조사(현황 조사서)

[목록2]관리실의 고은정 대리에게 문의하였더니, 전에는 `서산로컬푸드`가 있었으나 현재는 모두 `공실상태`이며, 관리하고 있는 전산자료에 등록된 임차인이 없고 소유자가 점유하고 있는 것으로 알고 있다고 답변하고, 덧붙인 상가건물임대차 현황서와 같이 등재된 임차인이 없음.

매각결과+

매각일자 / 결과 응찰자수 최고가 금액/응찰자명 차순위 금액

동일사건 물건목록

번호 주소 상태/입찰일 물건내역
1 충청남도 서산시 성연면 성연2로 45, 1층102호 (이안큐브오피스텔) 미납
2025.04.29
바로가기
2
본건
충청남도 서산시 성연면 성연2로 45, 1층103호 (이안큐브오피스텔) 미납
2025.04.29
-
3 충청남도 서산시 성연면 성연2로 45, 1층104호 (이안큐브오피스텔) 미납
2025.04.29
바로가기
4 충청남도 서산시 성연면 성연2로 45, 1층105호 (이안큐브오피스텔) 미납
2025.04.29
바로가기
5 충청남도 서산시 성연면 성연2로 45, 1층106호 (이안큐브오피스텔) 미납
2025.04.29
바로가기
6 충청남도 서산시 성연면 성연2로 45, 1층107호 (이안큐브오피스텔) 미납
2025.04.29
바로가기
7 충청남도 서산시 성연면 성연2로 45, 1층110호 (이안큐브오피스텔) 미납
2025.04.29
바로가기
8 충청남도 서산시 성연면 성연2로 45, 1층111호 (이안큐브오피스텔) 변경
2025.06.03
바로가기
9 충청남도 서산시 성연면 성연2로 45, 1층112호 (이안큐브오피스텔) 변경
2025.06.03
바로가기
부동산
등기
임차인
그 외

부동산

매각목록

※ 건축물 도면은 ‘건축물 대장의 기재 및 관리에 관한 규칙’ 에 따라 현재 경매가 진행중인 물건에만 제공됩니다.
※ 지분물건의 경우 면적은 지분에 해당하는 면적이 아닌 전체 면적으로 표기됩니다

감정평가

감정평가서 요약

1) 위치 및 주위환경 본건은 충청남도 서산시 성연면 오사리 소재 "오사삼거리" 북동 인근에 위치하며, 인근에 공동주택, 근린생활시설이 소재하는 등 제반 주위 환경은 보통임. 2) 교통상황 본건까지 제반 차량으로 접근이 가능하며, 인근에 노선버스정류장이 소재하는 등 제반 교통상황은 보통임. 3) 건물의 구조 기호(1)-(9) : 철근콘크리트구조 (철근)콘크리트지붕 18층 중 제1층 제102호 외 8개호로서, (사용승인일 : 2019.07.29.) 외 벽 : 석재붙임 마감, 몰탈 위 페인팅 마감 및 전면 통유리 마감 등 내 벽 : 몰탈 위 페인팅 마감 등 창 호 : 샷시 창호 등임. 4) 이용상태 기호(1)-(9) : 현황 공실상태임. 5) 설비내역 본건 기본적인 위생설비, 급 · 배수설비, 소화전설비, 화재탐지 및 경보설비, 승강기설비 등이 구비되어 있음. 6) 토지의 형상 및 이용상태 2필 일단의 토지로, 인접지 및 인접 도로 대비 등고평탄한 부정형의 토지로서, 현황 "업무시설(오피스텔) 및 근린생활시설"건부지로 이용중임. 7) 인접 도로상태등 본건 서측 및 남측으로 왕복 4차선 아스콘포장도로와, 북측 및 동측으로 왕복 2차선 아스콘포장도로와 접하고 있음. 8) 토지이용계획 및 제한상태 오사리 1645번지 : 도시지역, 일반상업지역(2015-06-09), 지구단위계획구역, 중로2류(폭 15m-20m)(2014-08-04)(접합) 가축사육제한구역(전부제한지역:모든 축종 불가)<가축분뇨의 관리 및 이용에 관한 법률>, 일반산업단지(2014-08-04)<산업입지 및 개발에 관한 법률> 오사리 1647번지 : 도시지역, 일반상업지역(2015-06-09), 지구단위계획구역, 대로3류(폭 25m-30m)(2014-08-04)(접합), 중로2류(폭 15m-20m)(2014-08-04)(접합) 가축사육제한구역(전부제한지역:모든 축종 불가)<가축분뇨의 관리 및 이용에 관한 법률>, 일반산업단지(2014-08-04)<산업입지 및 개발에 관한 법률> 9) 공부와의 차이 -. 10) 기타참고사항(임대관례 및 기타) -.

주변 입주 예정

거리 단지명 공급년월 세대 수
※ 해당 자료는 한국부동산원 청약홈 자료에 근거하며, 인근 5km 이내의 물건을 기준으로 산정되었습니다.

등기

등기부현황

채권합계 8,859,430,000원(7건)
등기일자 권리종류 권리자/채권액 권리
2020-07-20
소유자 마룡투자개발주식회사 (소유자)
단독소유 -
2020-07-20
(갑1)
근저당권설정 농협은행주식회사 소멸
말소기준 등기 4,260,000,000원
2024-12-27
(갑1-1)
근저당권이전 에프앤에이치2409유동화전문유한회사 소멸
- -
2024-12-27
(갑1-2)
근저당권이전 주식회사유수금융대부 소멸
- -
2024-12-27
(갑1-3)
근질권 제이비우리캐피탈주식회사 소멸
- 4,260,000,000원
2025-01-07
(갑1-7)
질권 마도근 소멸
- 200,000,000원
2020-07-20
(을1)
근저당권설정 농협은행주식회사 소멸
- 804,000,000원
2024-12-27
(을1-4)
근저당권이전 에프앤에이치2409유동화전문유한회사 소멸
- -
2024-12-27
(을1-5)
근저당권이전 주식회사유수금융대부 소멸
- -
2024-12-27
(을1-6)
근질권 제이비우리캐피탈주식회사 소멸
- 804,000,000원
2020-07-20
(을2)
근저당권설정 한명주 소멸
- 1,000,000,000원
2021-09-09
(을2-1)
질권 박민희 소멸
- 200,000,000원
2020-07-20
(을3)
근저당권설정 임고운 소멸
- 600,000,000원
2021-01-11
(을3-1)
근저당권이전 이한규 소멸
- -
2020-07-20
(을4)
근저당권설정 이의중 소멸
- 480,000,000원
2020-07-20
(을5)
근저당권설정 주식회사유림디앤씨 소멸
- 2,403,000,000원
2022-01-04
(갑6)
가압류 주식회사케이엔디엔피 소멸
- 112,437,200원
2022-12-16
(갑7)
압류 서산시 소멸
- -
2023-01-20
(갑8)
압류 서산세무서장 소멸
- -
2023-10-05
(갑10)
임의경매개시결정
(2023타경5187)
농협은행주식회사 소멸
경매기입 등기 3,596,794,804원
더보기 더보기
※ 신규 발급등기의 분석자료 반영에는 최대 1일까지 소요될수 있습니다.(등기분석,임차인분석,분석노트 등)

임차인

매각물건 명세서

구분 법원 사건번호 작성일자 매각명세서
1 서산지원 2023타경5187[2] 2025. 3. 7.
2 서산지원 2023타경5187[2] 2024.12.05
3 서산지원 2023타경5187[2] 작성일자 미확인
구분 법원/
사건번호
작성일자 매각명세서
1 서산지원
2023타경5187[2]
2025. 3. 7.
2 서산지원
2023타경5187[2]
2024.12.05
3 서산지원
2023타경5187[2]
작성일자 미확인

물건 비고(매각 명세서)

101호 및 102호와 벽체 구분 없이 공실상태이나, 각 호 바닥에 육안으로 식별가능한 선으로 구분표시되어 있음.

임차인현황

임차인 보증금/차임 전입/확정/배당 대항력
매각물건명세서상 임차인이 존재하지 않습니다.

현황 조사서

조사일시

2023년10월26일14시30분

부동산의 현황

본건은 서산시 성연면 오사리에 소재하는 2019년 총 3개동으로 건설된 오피스텔 및 근린생활시설로, 지리적으로는 [성연면행정복지센터]와 [성연중학교]의 남서쪽에 위치하고, 남동쪽 인근에 [성연초등학교]가 소재함. 주변은 남서쪽으로 근린생활시설과 여러 단지의 아파트가 밀집해 있고, 북쪽과 동쪽 방향으로는 서산테크노벨리의 중·소형 공장 등이 있으며 서쪽으로는 29번 국도 [충의로] 건너편에 농경지와 임야 등이 혼재해 있음. 주거환경이나 교통사정 그리고 입지조건 등은 보통시됨. 관리실 직원의 안내를 받아 현장 조사를 실시하였음. 호수를 구분하기 위하여 바닥에는 페인트로 10㎝ 정도의 폭으로 표시되어 있고, 각 호수의 폭은 3.5~4M 가량이고, 북서측으로부터 남쪽으로 [101호(목록외), 102호, 103호] // [104호 내지 107호] // [108호(목록외), 109호(목록외)⇒CU편의점] // [110호 내지 112호]로 각 구분하기 위하여 알루미늄 기둥과 합판으로 보여지는 칸막이가 설치되어 있음(별첨 사진 각 참조). 본건은 101호(목록외) 및 102호와 103호에만 1개의 출입문이 있고 나머지에는 출입문이 설치되어 있지 아니한 ‘공실상태’임.

점유 조사

[목록2]관리실의 고은정 대리에게 문의하였더니, 전에는 `서산로컬푸드`가 있었으나 현재는 모두 `공실상태`이며, 관리하고 있는 전산자료에 등록된 임차인이 없고 소유자가 점유하고 있는 것으로 알고 있다고 답변하고, 덧붙인 상가건물임대차 현황서와 같이 등재된 임차인이 없음.

조사일시

2023년10월26일14시30분

부동산의 현황

본건은 서산시 성연면 오사리에 소재하는 2019년 총 3개동으로 건설된 오피스텔 및 근린생활시설로, 지리적으로는 [성연면행정복지센터]와 [성연중학교]의 남서쪽에 위치하고, 남동쪽 인근에 [성연초등학교]가 소재함. 주변은 남서쪽으로 근린생활시설과 여러 단지의 아파트가 밀집해 있고, 북쪽과 동쪽 방향으로는 서산테크노벨리의 중·소형 공장 등이 있으며 서쪽으로는 29번 국도 [충의로] 건너편에 농경지와 임야 등이 혼재해 있음. 주거환경이나 교통사정 그리고 입지조건 등은 보통시됨.
관리실 직원의 안내를 받아 현장 조사를 실시하였음.
호수를 구분하기 위하여 바닥에는 페인트로 10㎝ 정도의 폭으로 표시되어 있고, 각 호수의 폭은 3.5~4M 가량이고, 북서측으로부터 남쪽으로 [101호(목록외), 102호, 103호] // [104호 내지 107호] // [108호(목록외), 109호(목록외)⇒CU편의점] // [110호 내지 112호]로 각 구분하기 위하여 알루미늄 기둥과 합판으로 보여지는 칸막이가 설치되어 있음(별첨 사진 각 참조).
본건은 101호(목록외) 및 102호와 103호에만 1개의 출입문이 있고 나머지에는 출입문이 설치되어 있지 아니한 ‘공실상태’임.

점유 조사

[목록2]관리실의 고은정 대리에게 문의하였더니, 전에는 `서산로컬푸드`가 있었으나 현재는 모두 `공실상태`이며, 관리하고 있는 전산자료에 등록된 임차인이 없고 소유자가 점유하고 있는 것으로 알고 있다고 답변하고, 덧붙인 상가건물임대차 현황서와 같이 등재된 임차인이 없음.

미납관리비 조사내역

확인일자 미납금액 관리소번호 메모

※ 해당 정보는 참고용으로 제공되며 입찰 전 반드시 관리사무소를 통해 직접 확인하시기 바랍니다.

시세

전문가

그외

관할법원 관할법원 (입찰장소)

대전지방법원 서산지원

경매6계 : 041-660-0600

충남 서산시 예천동 600 주소복사

Q&A Q&A

Q. 대법원경매가 무엇인가요?누구나 입찰에 참여할 수 있나요?

경매채무자(빌린 자)가 채무를 갚지 않았을 때 채권자(빌려준 자)의 신청으로 대법원이 채무자의 재산을 대신 매각하는 과정을 말합니다.

법원은 감정인에게 자산을 평가하게 한 후, 최저가를 정하여 그 금액 이상으로 입찰한 입찰자 중 최고가 매수인을 결정합니다.

대법원의 주관하에 국민 모두가 참여할 수 있습니다.

Q. 경매 입찰은 어떻게 하나요?누구나 입찰에 참여할 수 있나요?

1. 입찰하시고자 하는 경매물건을 정하신 후, 입찰하시고자 하는 입찰가를 최저가 이상으로 정합니다.

2. 해당 물건의 매각기일에 직접 관할법원에 방문하셔서 법원내에 비치된 입찰서를 작성하신 후 입찰하시면 됩니다.

TIP! 법원에 가실 때에는 입찰보증금(최저가의 10~30%)과 신분증을 지참하여 방문하세요.

Q. 용어가 너무 어려워서 내용을 이해하기 어려워요누구나 입찰에 참여할 수 있나요?

매각기일
매각기일은 경매 법원이 부동산에 대하여 매각 입찰을 진행하는 날을 말합니다.

유찰
매각 기일에 매수하고자 하는 사람이 없어 매각되지 않아 무효가 되는 것을 유찰이라고 합니다.

최저 매각 가격
최초 경매를 진행할때 감정인이 평가한 가격을 기준으로 책정한 금액이며 입찰자는 최저 매각 가격과 동일하거나 이상의 금액으로 입찰해야 합니다. 매각 기일에 있어 입찰자가 없어 유찰되면 통상 20~30% 저감된 금액이 다음 최저 매각 가격이 됩니다.

매수 보증금
경매 물건을 매수하고자 하는사람은 최저 매각 가격의 10분의 1(다르게 정해질 수 있음)에 해당하는 보증금액을 입찰표와 함께 집행관에게 제출하는 방법으로 제공합니다. 매각 절차가 종결된 후 집행관은 최고가 매수신고인이나 차순위매수신고인 이외의 매수신청인에게는 즉시 매수 보증금을 반환해 줍니다.

더 많은 내용을 알고 싶다면 경매마당 학습하기 코너에 준비된 용어설명을 이용해보세요.

경매정보는 법원자료와 일치하도록 하였으나 권리사항변동, 입력착오 등의 원인으로 사실과 다를 수 있습니다. 이용약관에 의거 면책조건으로 제공됨을 알리며, 경매입찰시 반드시 관련 공부를 재확인하시기 바랍니다.

PC버전으로 보기